_Waterh_BMNH_Borneo_nowSchmidtiana_LGB.jpg)
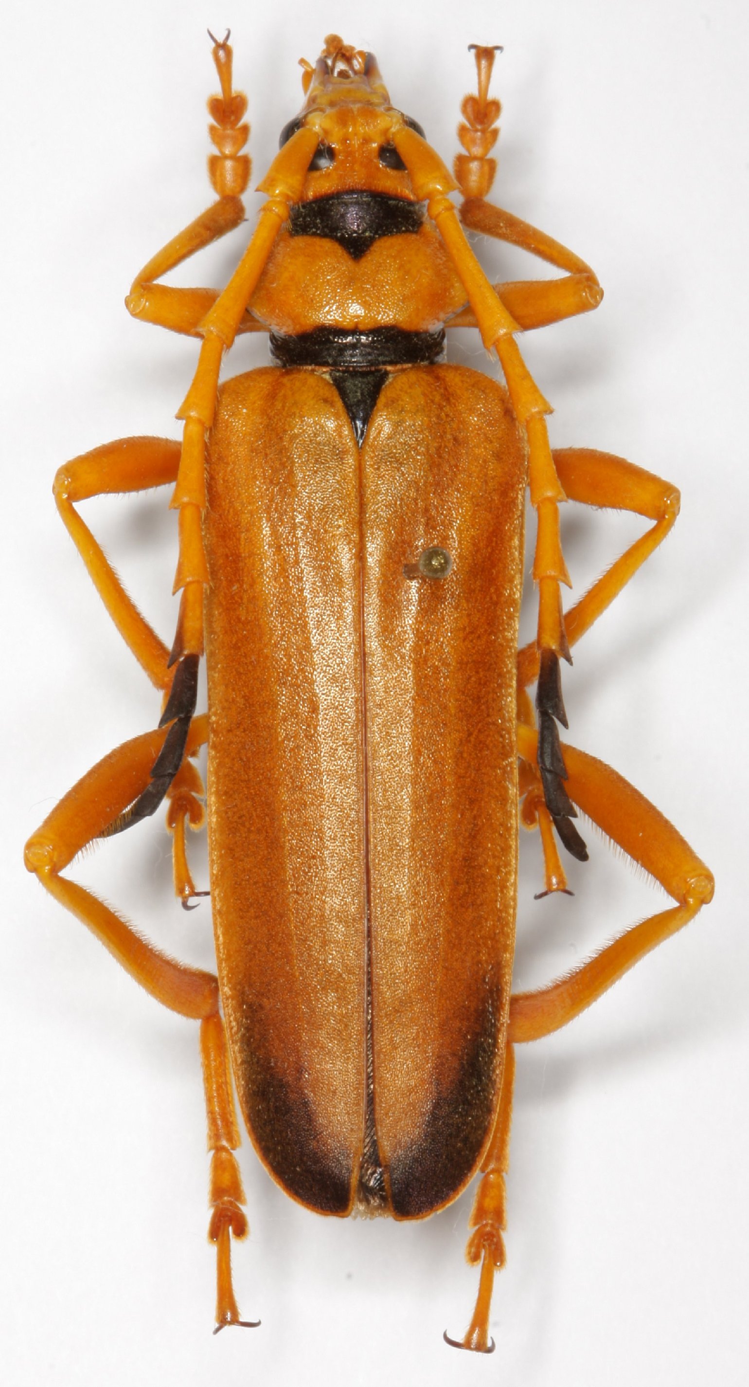
Pachyteria ochracea Waterhouse Specimen Type: holotype Institution: BMNH British Museum Natural History, London, UK Photographer: Larry G. Bezark Collection Location: Borneo 48410
|
_Waterh_BMNH_Borneo_nowSchmidtiana_LGB.jpg)
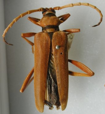
Pachyteria ochracea Waterhouse Specimen Type: holotype Institution: BMNH British Museum Natural History, London, UK Photographer: Larry G. Bezark Collection Location: Borneo 48411
|