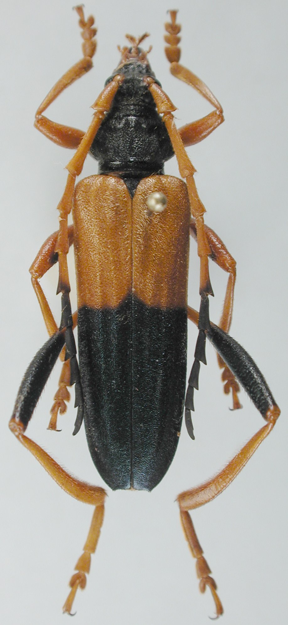
_LGB.jpg)
Institution: LGBC Larry G. Bezark Collection, Sacramento, California, USA Photographer: Larry G. Bezark Determiner: Dan Heffern Collection Location: Sabah, Borneo 60655
|
 Mt Bawang, W Kalimantan, Borneo.jpg)
Institution: LGBC Larry G. Bezark Collection, Sacramento, California, USA Photographer: Larry G. Bezark Collection Location: Mt Bawang, W Kalimantan, Borneo 90413
|