New Search Family, Subfamily and Tribe List

SubFamily Cerambycinae

Tribe Eburiini
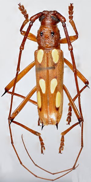
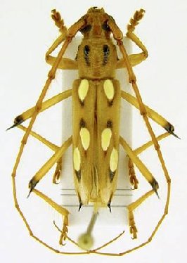
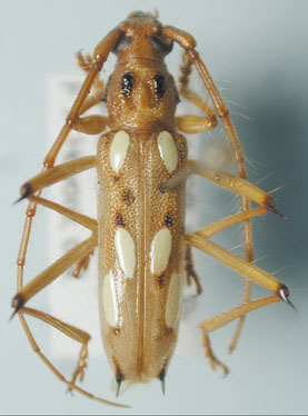
Eburodacrys sexmaculata (Olivier, 1790)

Sex: m
Photographer: Juan Pablo Botero
63441


Photographer: Larry G. Bezark
Determiner: Hovore
7109


Photographer: Denis Faure
Collection Location: French Guiana
21869


Photographer: Jean-Louis Giuglaris
Collection Location: Kaw, French Guiana
7108

130425