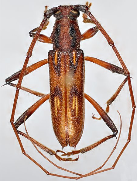
 Gounelle MNHN Goias or Minas Gerais Moure.jpg)
Specimen Type: syntype Institution: MNHN Museum of Natural History Paris, France Photographer: JS Moure Collection Location: Goias or Minas Gerais, Brazil 101754
|
 Gounelle MNHN Goias or Minas Gerais Moure.jpg)
Specimen Type: syntypes Institution: MNHN Museum of Natural History Paris, France Photographer: JS Moure Collection Location: Goias or Minas Gerais, Brazil 101755
|