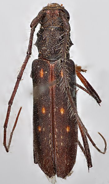
_Zajciw_MNRJ_Soledade_Paraiba_Brazil_Botero.jpg)
Specimen Type: holotype Sex: m Institution: MNRJ Museu Nacional Universidade do Rio Janeiro, Brazil Photographer: Juan Pablo Botero Collection Location: Soledade (Juazeirinho), Paraiba, Brazil 63437
|
_Zajciw_MNRJ_SWL.jpg)
Specimen Type: holotype Sex: m Institution: MNRJ Museu Nacional Universidade do Rio Janeiro, Brazil Photographer: Steve Lingafelter Collection Location: Soledade (Juazeirinho), Paraiba, Brazil 7101
|

Photographer: Jim Wappes Collection Location: Bolivia 7102
|

Institution: UCB Essig Museum of Entomology, Berkeley, California, USA Photographer: Larry G. Bezark Determiner: Chemsak 7103
|
|