New Search Family, Subfamily and Tribe List

SubFamily Cerambycinae

Tribe Callichromatini
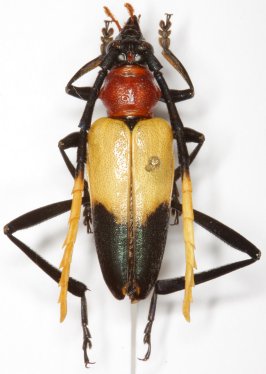
Pachyteria chewi Morati & Huet 2004

Specimen Type: paratype
Determiner: Magellanes, Collection Ex Natura 4
Collection Location: Borneo
44015


Photographer: Dan Heffern
44014

130425