 Gounelle MNHN Jataí, Goias, Brazil Moure.jpg)
Specimen Type: lectotype Sex: m Institution: MNHN Museum of Natural History Paris, France Photographer: JS Moure Collection Location: Jataí, Goias, Brazil 101753
|
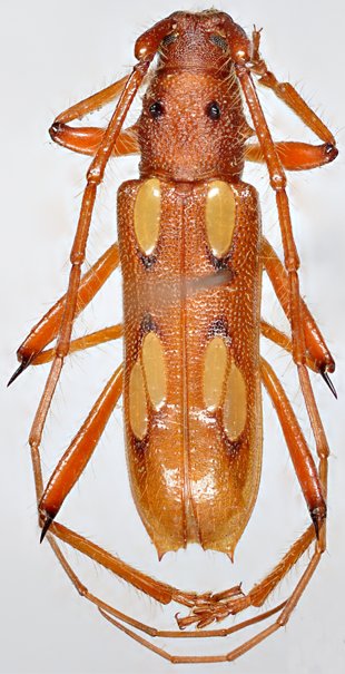
_(m)_Gounelle_MNHN_JAC.jpg)
Specimen Type: lectotype Sex: m Institution: MNHN Museum of Natural History Paris, France Photographer: John Chemsak Collection Location: Jataí, Goias, Brazil 16236
|