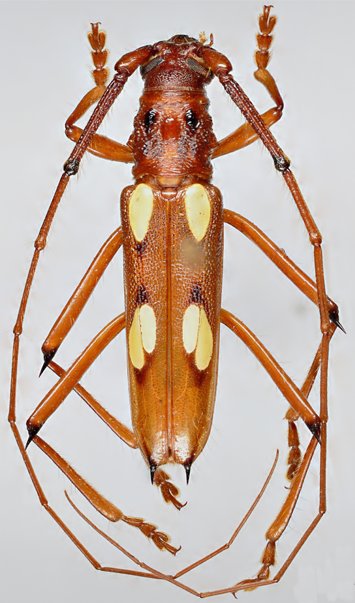
 Bates MNHN Tefé (originally Ega), Amazonas, Brazil Moure.jpg)
Specimen Type: lectotype Sex: m Institution: MNHN Museum of Natural History Paris, France Photographer: JS Moure Collection Location: Tefé (originally Ega), Amazonas, Brazil 101752
|
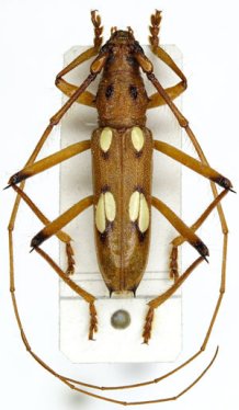
_(m)_Bates_MNHN_JAC.jpg)
Specimen Type: lectotype Sex: m Institution: MNHN Museum of Natural History Paris, France Photographer: John Chemsak Collection Location: Tefé (originally Ega), Amazonas, Brazil 16235
|