New Search Family, Subfamily and Tribe List

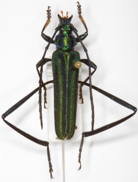
SubFamily Cerambycinae

Tribe Callichromatini
Crassichroma viride Vives, Bentanachs & Chew 2009

Photographer: Andre Skale, Cerambycoidea Forum
Collection Location: Mt Trus Madi, Sabah, Borneo
48994


Sex: m
Photographer: Dan Heffern
36121


Sex: f
Photographer: Dan Heffern
36122

130425