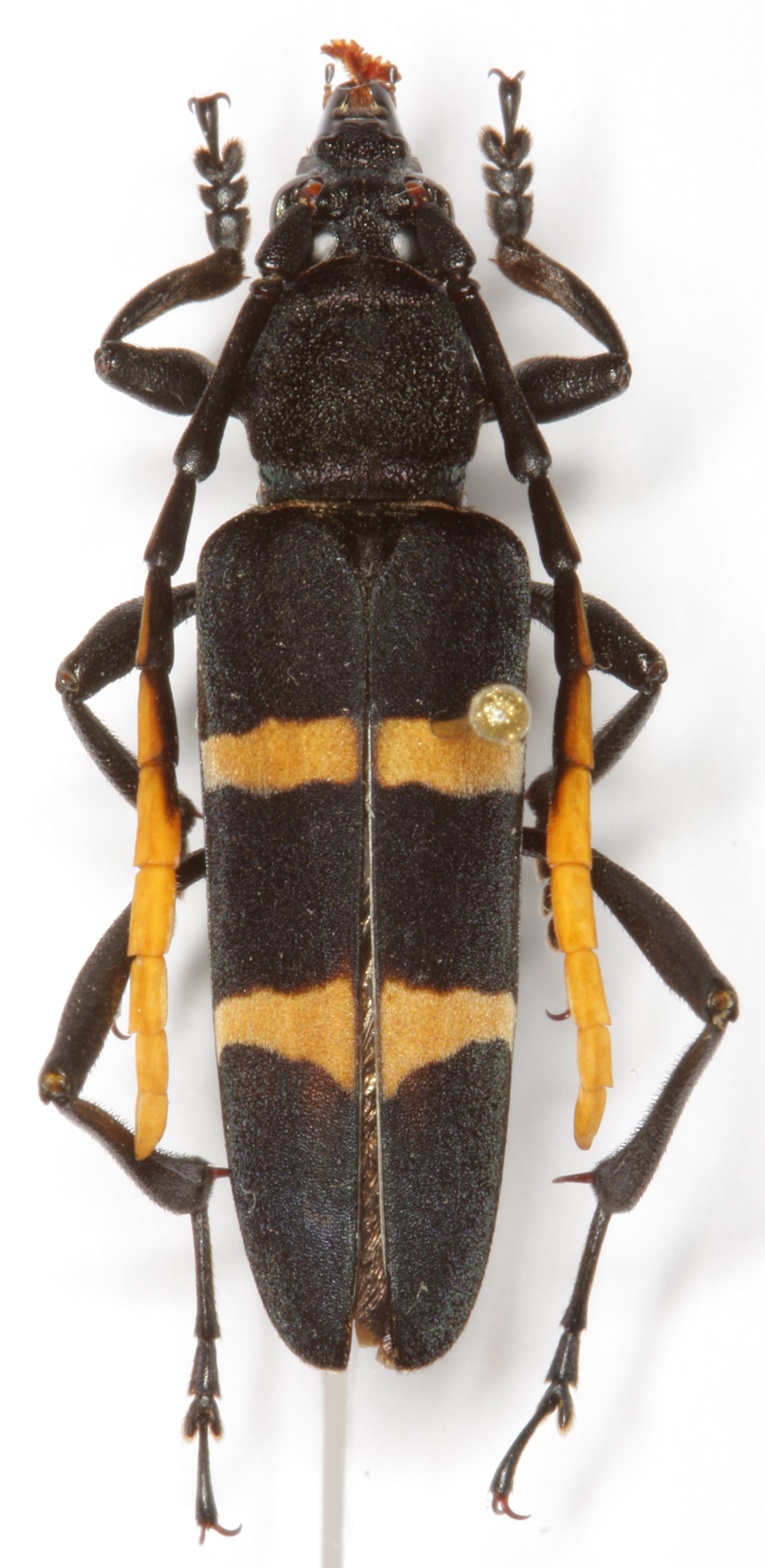
_Pascoe_BMNH_Penang_Malacca_Malaysia_LGB.jpg)
Specimen Type: holotype Institution: BMNH British Museum Natural History, London, UK Photographer: Larry G. Bezark Collection Location: Penang, Malacca, Malaysia 47454
|
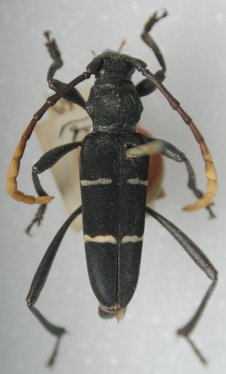
_Pascoe_Malaysia_Penang.jpg)
Specimen Type: holotype Institution: BMNH British Museum Natural History, London, UK Collection Location: Penang, Malacca 32507
|