_DJH.jpg)
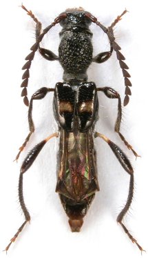
Specimen Type: holotype Sex: f Institution: Holzschuh Collection Photographer: Lubo Dembický Collection Location: Crocker Range, Sabah, Borneo 52023
|
_Holzschuh_Malaysia_Sabah_Crocker_Range.jpg)
Specimen Type: holotype Sex: f Institution: Holzschuh Collection Determiner: Entomologica Basiliensa Collection Location: Crocker Range, Sabah, Borneo 52024
|