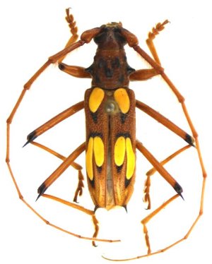
 Fabr ZMUC America Meridionali now Eburodacrys quadridens Moure.jpg)
Specimen Type: holotype Institution: ZMUC University of Copenhagen, Zoological Museum, København, Denmark Photographer: JS Moure Collection Location: America Meridionali 102036
|
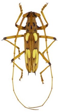
 Fabr ZMUC America Meridionali now Eburodacrys quadridens Moure.jpg)
Specimen Type: cotype Institution: ZMUC University of Copenhagen, Zoological Museum, København, Denmark Photographer: JS Moure Collection Location: America Meridionali 102035
|
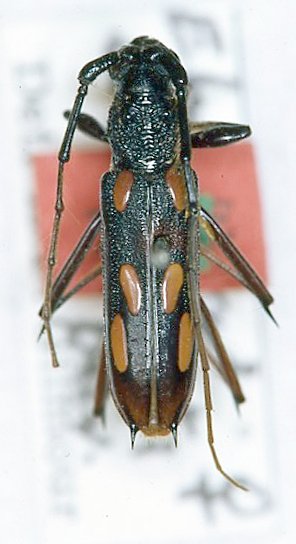
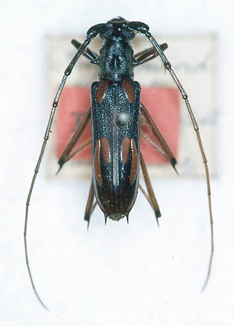
 Thomnson MNHN interior Cayenne, French Guiana now qudridens Moure.jpg)
Eburodacrys citreoguttata Thomson Specimen Type: holotype Institution: MNHN Museum of Natural History Paris, France Photographer: JS Moure Collection Location: interior Cayenne, French Guiana 101703
|

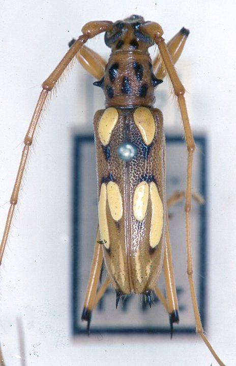
Photographer: Jean-Louis Giuglaris Collection Location: Coralie, French Guiana 28721
|
_Bolivia_Wappes_Photo.jpg)
Photographer: Jim Wappes Collection Location: Bolivia 7090
|
_Det_Chemsak_UCB.jpg)
Institution: UCB Essig Museum of Entomology, Berkeley, California, USA Photographer: Larry G. Bezark Determiner: Chemsak 7091
|

Photographer: Odette Morvan Collection Location: French Guiana 31493
|

Institution: IRSNB Royal Belgian Institute of Natural Sciences, Brussels, Belgium Photographer: Noel Mal Collection Location: Cayenne, French Guiana 39321
|
_(Fabr)_Botero.jpg)
Sex: m Photographer: Juan Pablo Botero 63425
|