New Search Family, Subfamily and Tribe List

SubFamily Lamiinae

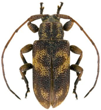
Tribe Xenofreini
Xenofrea veronicae Dalens, Touroult & Giuglaris 2009

Specimen Type: holotype
Sex: m
Institution: MNHN Museum of Natural History Paris, France
Collection Location: Kaw, French Guiana
27468


Specimen Type: paratype
Sex: f
Collection Location: Kaw, French Guiana
27469

130425