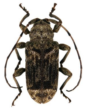
_Dalens_and_Touroult_and_Giuglaris_MNHN_Kaw_Fr_Guiana.jpg)
Specimen Type: holotype Sex: m Institution: MNHN Museum of Natural History Paris, France Collection Location: Kaw, French Guiana 27466
|
_Dalens_and_Touroult_and_Giuglaris_Kaw_Fr_Guiana.jpg)
Specimen Type: allotype Sex: f Collection Location: Kaw, French Guiana 27467
|
_Kaw_Fr_Guiana_Giuglaris.jpg)
Specimen Type: paratype Photographer: Jean-Louis Giuglaris Collection Location: Kaw, French Guiana 29457
|

Photographer: Frédéric Robin Collection Location: Montagne des Chevaux, French Guiana 80582
|
|