New Search Family, Subfamily and Tribe List

SubFamily Cerambycinae

Tribe Eburiini
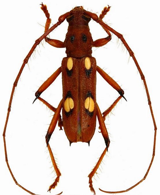
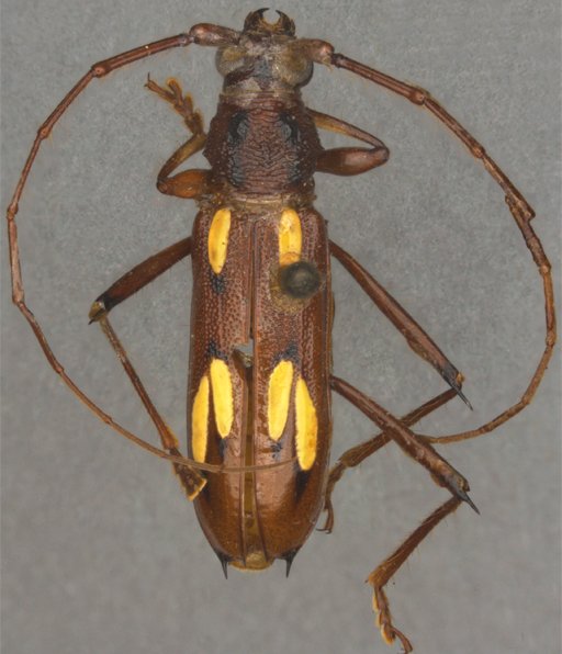
Eburodacrys puella (Newman, 1840)

Eburia puella Newman
Specimen Type: holotype
Sex: f
Institution: BMNH British Museum Natural History, London, UK
Photographer: Juan Pablo Botero
63376


Photographer: Denis Faure
Collection Location: French Guiana
28719


Photographer: Jean-Louis Giuglaris
Collection Location: French Guiana
28720

130425