 Vives coll Kalimantan, Borneo now Spinidy Vives pic.jpg)
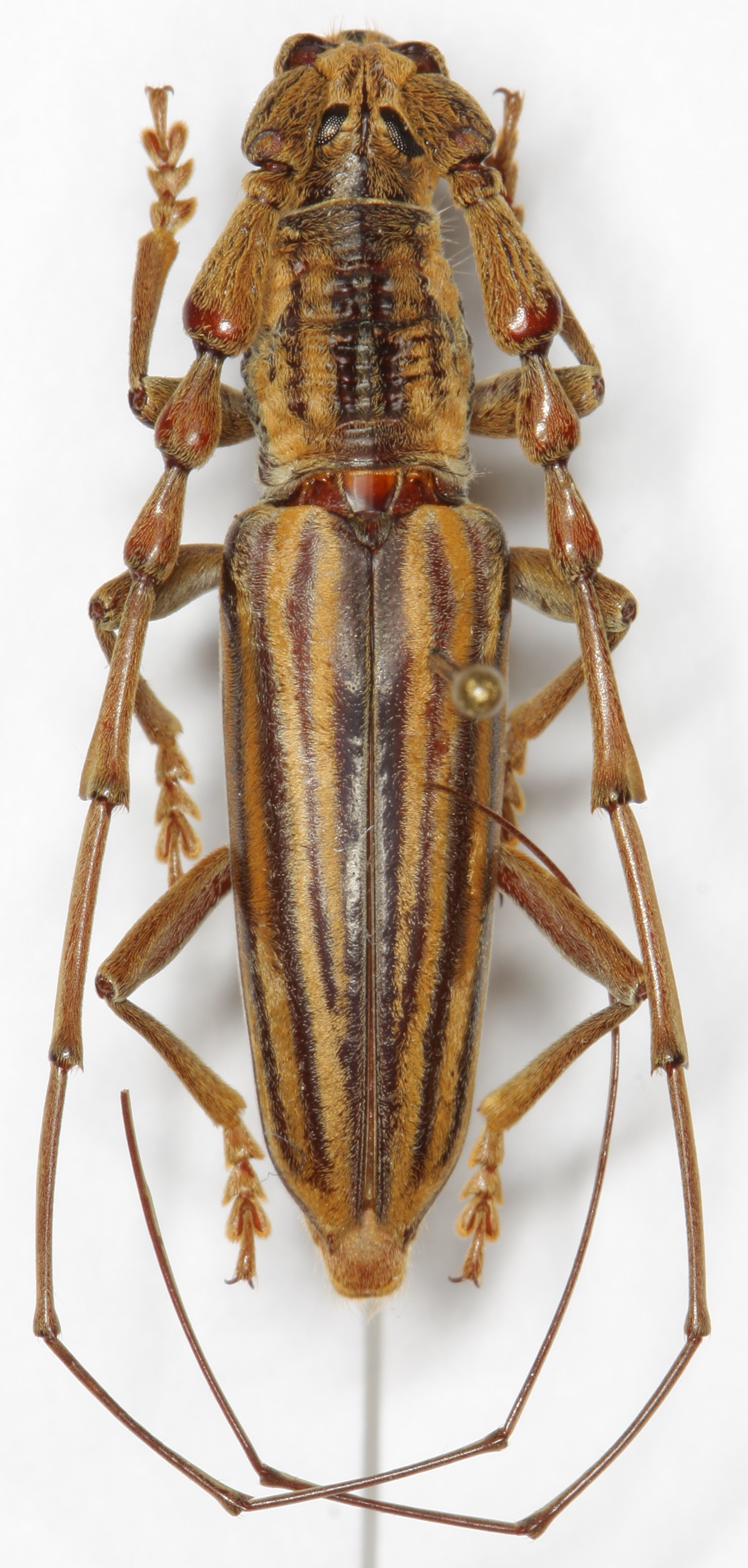
Elydnus huedepohli Vives Specimen Type: holotype Sex: m Institution: Vives Collection Photographer: Eduard Vives Collection Location: Kalimantan, Borneo 38664
|
_(Vives)_Sabah.jpg)
Sex: m Institution: Heffern Collection Photographer: Dan Heffern Collection Location: Sabah, Borneo 71916
|