_Holzschuh_CHS_Mt_Trus_Madi_Sabah_Malaysia.jpg)
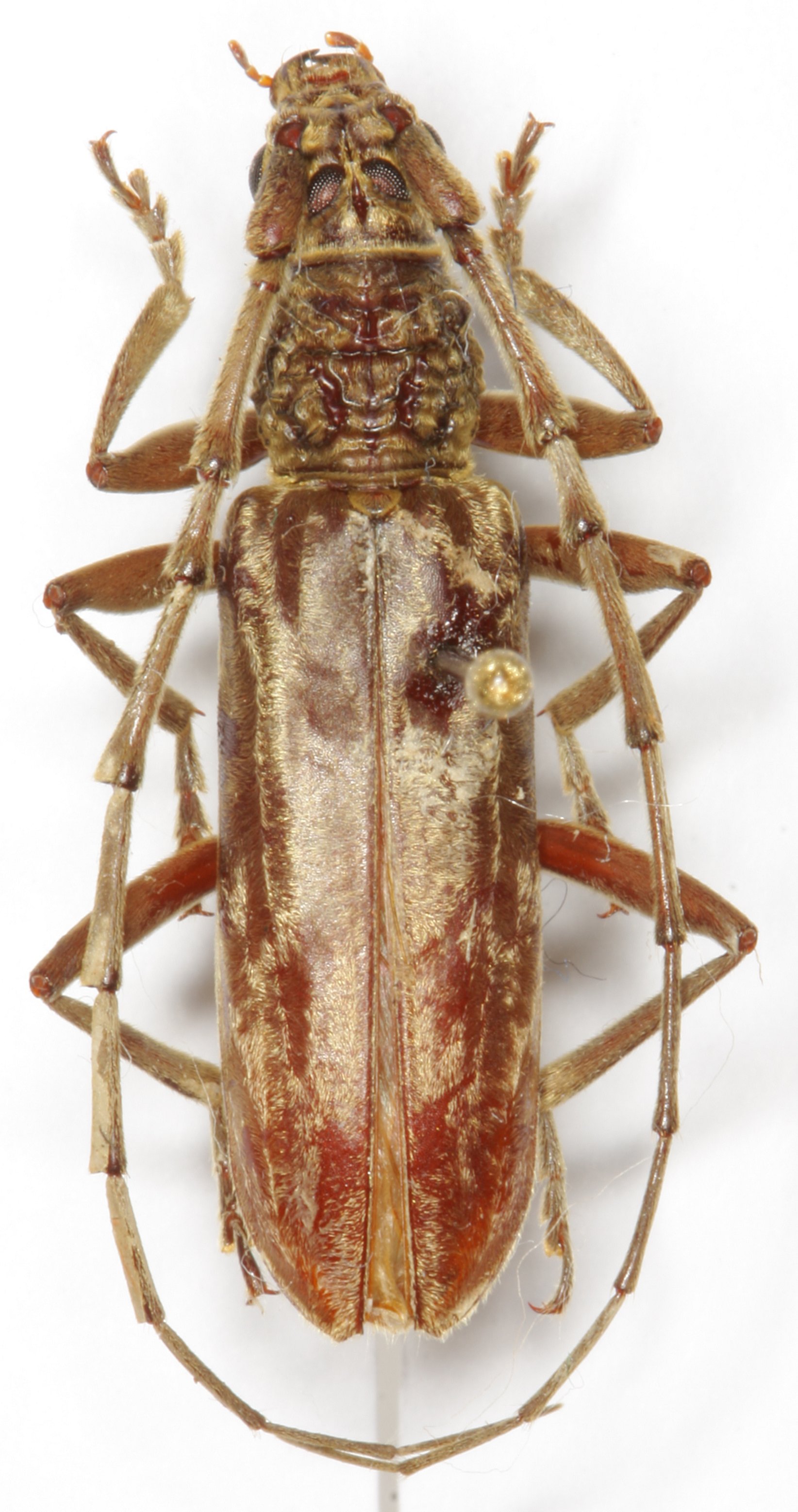
Specimen Type: holotype Sex: f Institution: Holzschuh Collection Determiner: Schrift. Forstlichen Bundesversuchsanstalt Collection Location: Mt Trus Madi, Crocker Range, Sabah, Borneo 38488
|
_DJH.jpg)
Specimen Type: holotype Sex: f Institution: Holzschuh Collection Photographer: Lubo Dembický Collection Location: Mt Trus Madi, Crocker Range, Sabah, Borneo 38489
|