_Holzschuh_Malaysia_Sabah_Sipitang_Mendolong.jpg)
Specimen Type: holotype Sex: m Institution: Holzschuh Collection Determiner: Schrift. Forstlichen Bundesversuchsanstalt Collection Location: Mendolong, Sipitang, Sabah, Borneo 38469
|
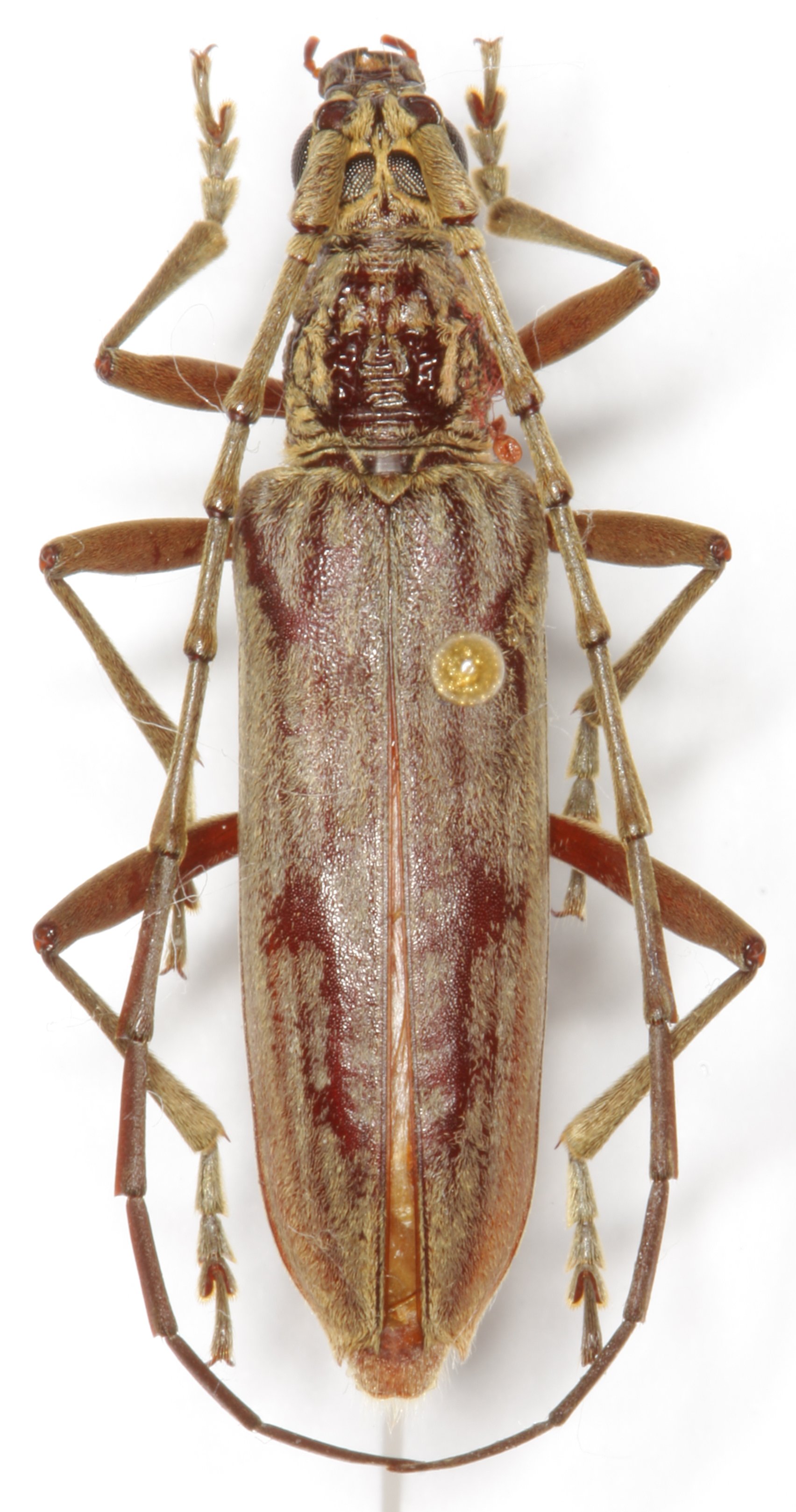
_DJH.jpg)
Specimen Type: holotype Sex: m Institution: Holzschuh Collection Photographer: Lubo Dembický Collection Location: Mendolong, Sipitang, Sabah, Borneo 38470
|