New Search Family, Subfamily and Tribe List

SubFamily Cerambycinae

Tribe Eburiini
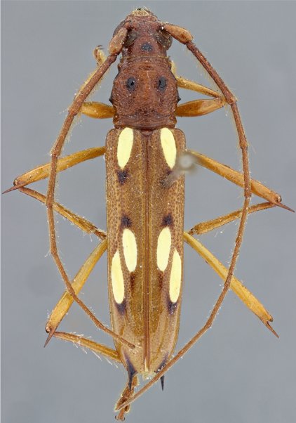
Eburodacrys pinima Martins 1999

Specimen Type: holotype
Sex: f
Institution: MZSP Museu de Zoologia da Universidade de São Paulo, Brazil
Photographer: Antonio Santos-Silva
Collection Location: Itaituba, Para, Brazil
63422

130425