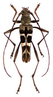
_Pic_MNHN_Chaoa_Tonkin_Vietnam_now_Acrycyrt_Azadeh_Taghavian.jpg)
Mausaridaeus attenuatus Pic Specimen Type: syntype Institution: MNHN Museum of Natural History Paris, France Photographer: Azadeh Taghavian Collection Location: Chapa, Tonkin, Vietnam 71092
|
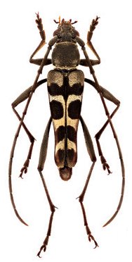
_Pic_MNHN_Chaoa_Tonkin_Vietnam_now_Acrycyrt_Azadeh_Taghavian.jpg)
Mausaridaeus attenuatus Pic Specimen Type: syntype Institution: MNHN Museum of Natural History Paris, France Photographer: Azadeh Taghavian Collection Location: Chapa, Tonkin, Vietnam 71093
|
_(Pic)_Dong_Van_Ha_Giang_Province_Vietnam.jpg)
Sex: m Photographer: Niisato Collection Location: Dong Van, Ha Giang Province, Vietnam 71094
|
_(Pic)_Dong_Van_Ha_Giang_Province_Vietnam.jpg)
Sex: f Photographer: Niisato Collection Location: Dong Van, Ha Giang Province, Vietnam 71095
|
_(Pic)_Hainan_Province_China.jpg)
Sex: m Photographer: Niisato Collection Location: Hainan Island, China 71096
|
|