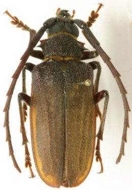
_Lameere_Tonkin_=_closteroides.jpg)
Priotyrannus rabieri Lameere Specimen Type: lectotype, paralect Sex: m Institution: MNHN Museum of Natural History Paris, France Determiner: Les Cahiers Magellanes Collection Location: Haut Song Chai Mtns, Tonkin, Vietnam 57627
|
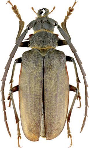
_(Komiya)_Drum_coll_4-6km_E_Ou-Tai_Phongsaly_Prov_Laos_NM.jpg)
Sex: m Institution: Drumont Collection Photographer: Noel Mal Collection Location: 4-6 km E Ou-Tai, Phongsaly Province, Laos 70052
|

Institution: CAS California Academy of Sciences, San Francisco, CA, USA Photographer: Larry G. Bezark 57622
|
_Me_Linh.jpg)
Institution: LGBC Larry G. Bezark Collection, Sacramento, California, USA Photographer: Larry G. Bezark Collection Location: Me Linh, Vinh Phu Province, Vietnam 41150
|
_Phja-Den_Vietnam_SWL.jpg)
Photographer: Steve Lingafelter Collection Location: Phja-den, Cao Bang Province, Vietnam 57620
|

Photographer: Udo Schmidt Collection Location: Yen Bai Province, Vietnam 57621
|
_Drumont_IRSNB_Ban Saleui_Phou_Phan_Hua_Phan_Prov_Laos_NM.jpg)
Sex: f Institution: IRSNB Royal Belgian Institute of Natural Sciences, Brussels, Belgium Photographer: Noel Mal Collection Location: Ban Saleui, Phou Phan, Hua Phan Province, Laos 70053
|
|