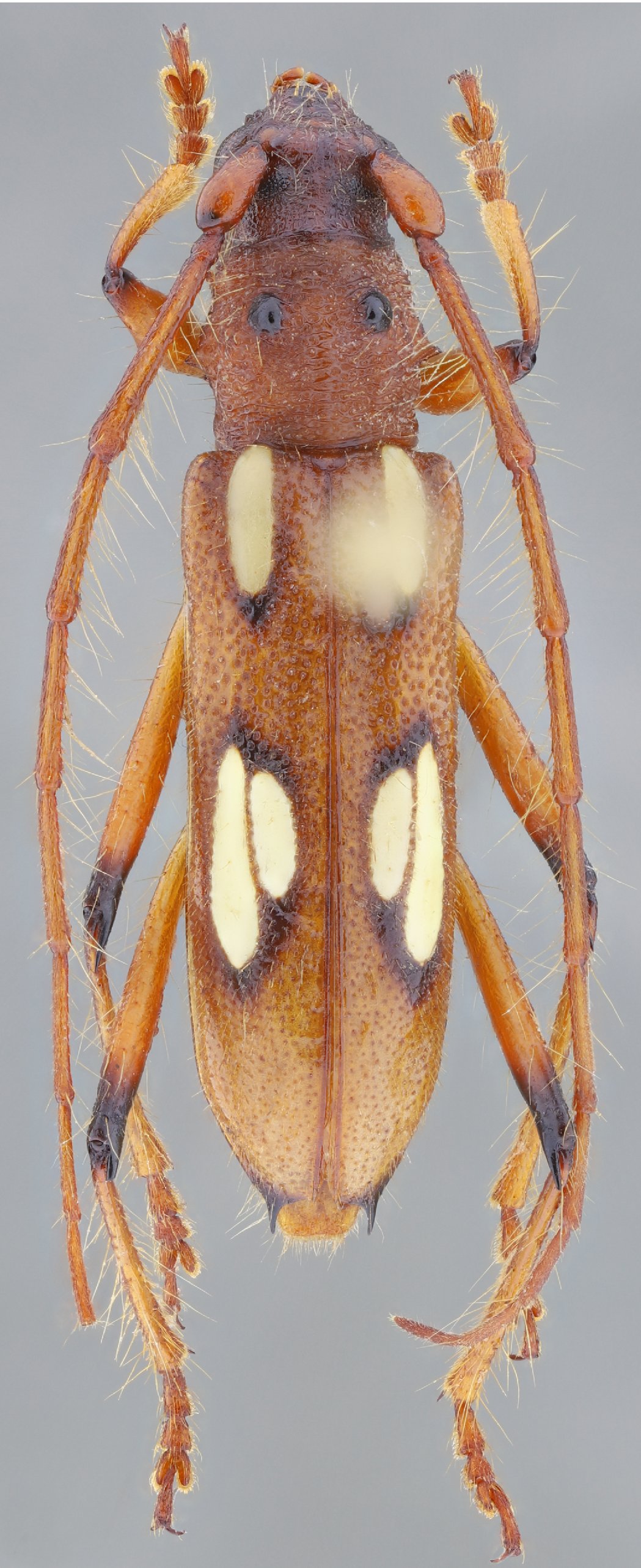
 Gounelle MNHN Jataí, Goias, Brazil Moure.jpg)
Specimen Type: lectotype Sex: m Institution: MNHN Museum of Natural History Paris, France Photographer: JS Moure Collection Location: Jataí, Goias, Brazil 101747
|
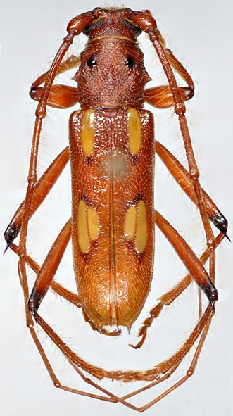
_(m)_Gounelle_MNHN_FTH.jpg)
Specimen Type: lectotype Sex: m Institution: MNHN Museum of Natural History Paris, France Photographer: FT Hovore Collection Location: Jataí, Goias, Brazil 16230
|
 Gounelle MNHN Jataí, Goias, Brazil Moure.jpg)
Specimen Type: syntype Institution: MNHN Museum of Natural History Paris, France Photographer: JS Moure Collection Location: Jataí, Goias, Brazil 101748
|

Institution: MNRJ Museu Nacional Universidade do Rio Janeiro, Brazil Photographer: Marcela Monne Collection Location: Serro do Caraca, Minas Gerais, Brazil 62313
|
_Gounelle_Botero.jpg)
Sex: m Photographer: Juan Pablo Botero 63418
|
 Gounelle MEFEIS UNESP Farm, Mato Grosso do Sul, Brazil SS.jpg)
Sex: f Institution: MEFE Museu de Ent da Faculdade de Engenharia de Ilha Solteira, Univ Estadual, Sao Paolo, Brazil Photographer: Antonio Santos-Silva Collection Location: UNESP Selviria, Farm, Mato Grosso do Sul, Brazil 90045
|
|