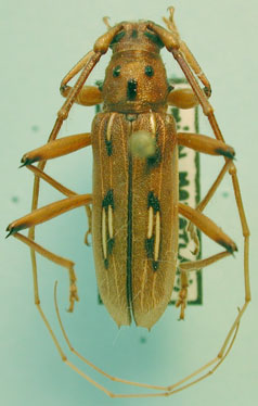
 Gounelle MNHN Jataí, Goias, Brazil Moure.jpg)
Specimen Type: holotype Sex: m Institution: MNHN Museum of Natural History Paris, France Photographer: JS Moure Collection Location: Jataí, Goias, Brazil 16229
|
 Gounelle NMNH Jataí, Goias, Brazil now nemorivag Moure.jpg)
Eburodacrys curialis Gounelle Specimen Type: holotype Sex: m Institution: MNHN Museum of Natural History Paris, France Photographer: JS Moure Collection Location: Jataí, Goias, Brazil 16215
|
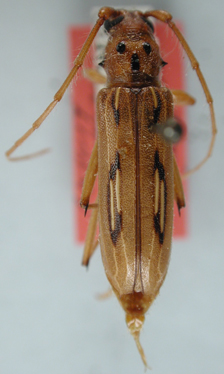
_(m)_Gounelle_MNHN_JAC.jpg)
Eburodacrys curialis Gounelle Specimen Type: holotype Sex: m Institution: MNHN Museum of Natural History Paris, France Photographer: John Chemsak Collection Location: Jataí, Goias, Brazil 16214
|
_Chemsak_and_Linsley_CAS_10443.jpg)
Eburodacrys hesperidis Chemsak & Linsley Specimen Type: holotype Sex: m Institution: CAS California Academy of Sciences, San Francisco, CA, USA Photographer: Larry G. Bezark Collection Location: 5 miles North of Mazatlán, Sinaloa, Mexico 22252
|
_Chemsak_and_Linsley_UCB.jpg)
Eburodacrys hesperidis Chemsak & Linsley Specimen Type: allotype Sex: f Institution: UCB Essig Museum of Entomology, Berkeley, California, USA 16220
|
_Chemsak_and_Linsley_UCB.jpg)
Eburodacrys hesperidis Chemsak & Linsley Specimen Type: paratype Institution: UCB Essig Museum of Entomology, Berkeley, California, USA Photographer: Larry G. Bezark 7068
|

Institution: FTH Frank T. Hovore collection (now at California Academy of Sciences) Photographer: Larry G. Bezark 7069
|

Photographer: Jim Wappes Collection Location: Bolivia 7050
|
|