
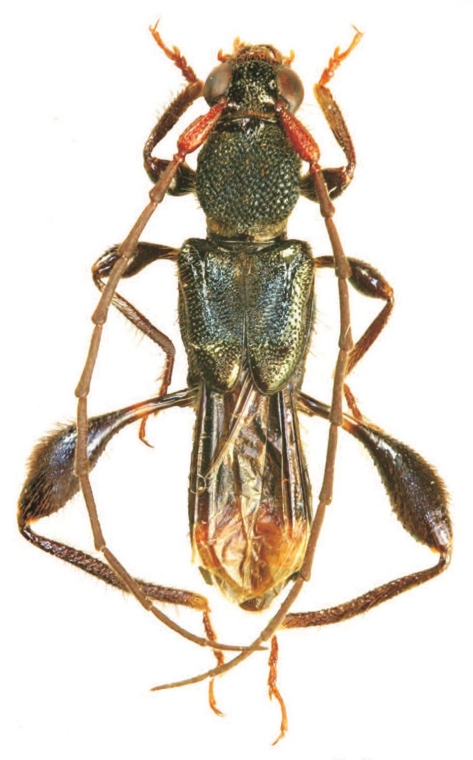
Institution: LIPI Lembaga Ilmu Pengetahuan, Bogor, Indonesia Photographer: Larry G. Bezark Collection Location: Bukit Soeharto, Kalimantan, Timur, Indonesia 43562
|

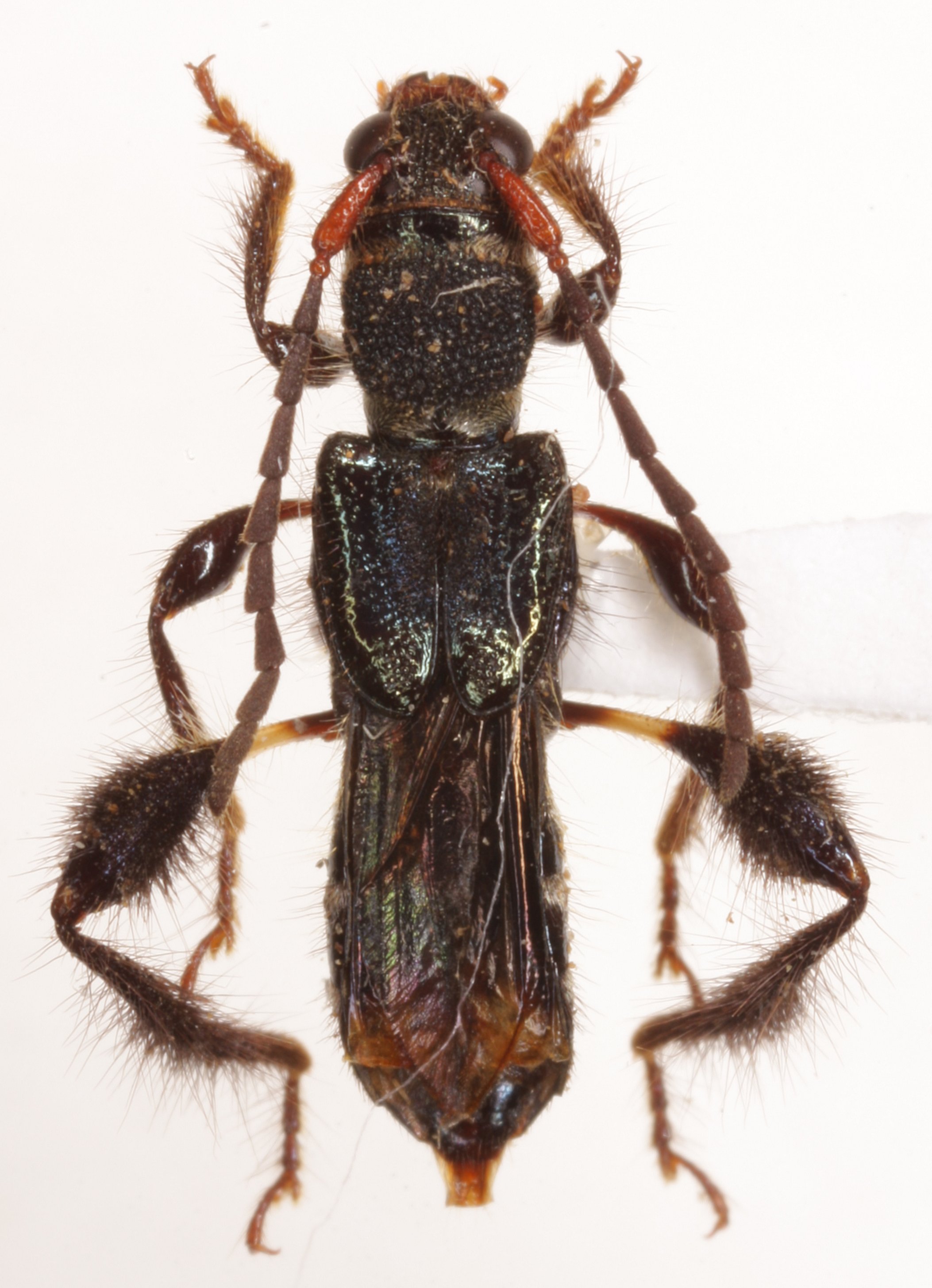
Institution: LIPI Lembaga Ilmu Pengetahuan, Bogor, Indonesia Photographer: Larry G. Bezark Collection Location: Bukit Soeharto, Kalimantan, Timur, Indonesia 43563
|
_Sabah.jpg)
Sex: f Institution: Heffern Collection Photographer: Dan Heffern 71795
|
 Harau Valley, W Sumatra LGBC.jpg)
Sex: m Institution: LGBC Larry G. Bezark Collection, Sacramento, California, USA Photographer: Larry G. Bezark Collection Location: Harau Valley, W Sumatra, Indonesia 38882
|
 (Thomson) vic Payakumbun, Harau valley, Sumatra Vives coll pic.jpg)
Sex: m Institution: Vives Collection Photographer: Eduard Vives Collection Location: vic Payakumbun, Harau valley, Sumatra 96931
|
|