
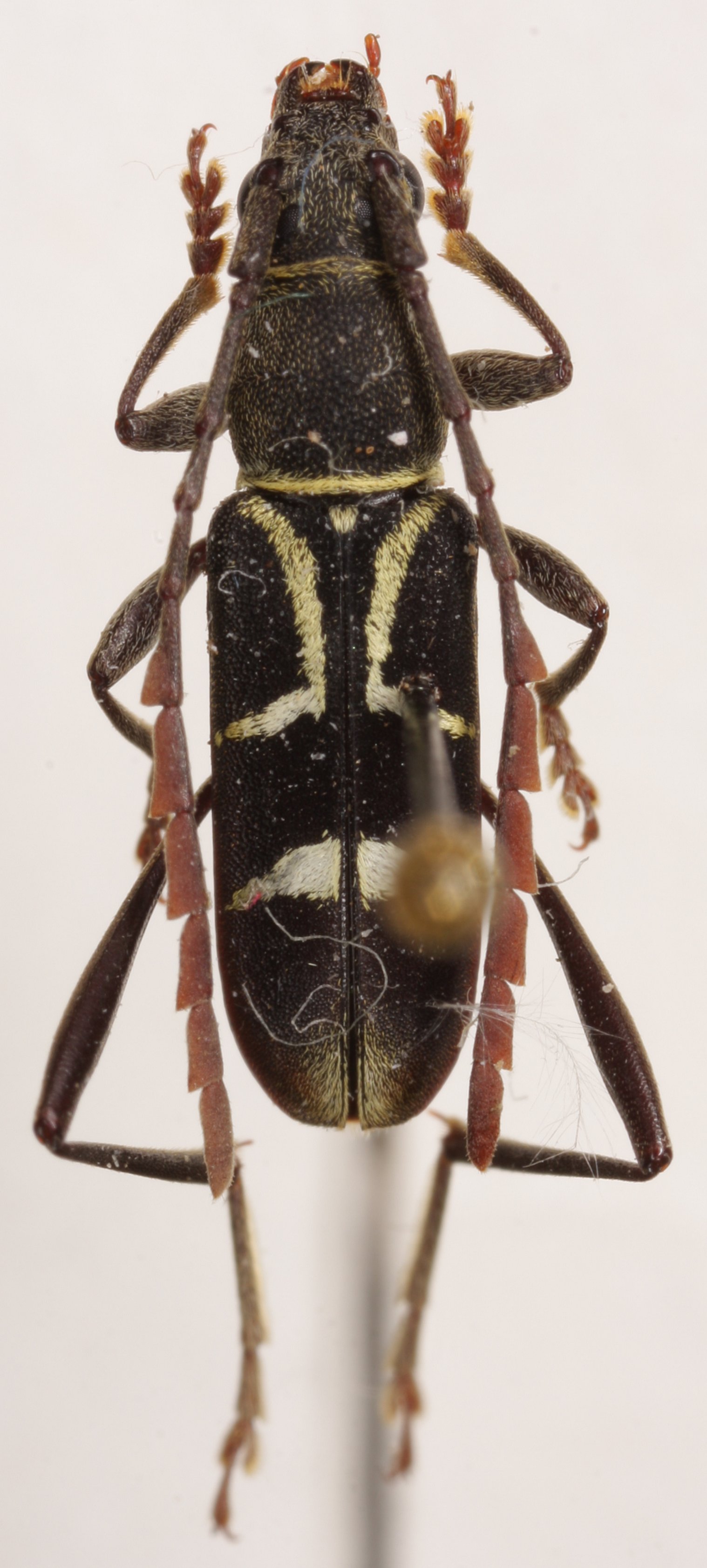
Sex: f Institution: LGBC Larry G. Bezark Collection, Sacramento, California, USA Photographer: Larry G. Bezark Collection Location: Mt Trus Madi, Sabah, Borneo 81868
|
 Mt Trus Madi, Sabah, Borneo LGBC.jpg)
Sex: f Institution: LGBC Larry G. Bezark Collection, Sacramento, California, USA Photographer: Larry G. Bezark Collection Location: Mt Trus Madi, Sabah, Borneo 81869
|