_White_BMNH_Tefe(Ega)_AM_Brazil_LGB.jpg)
Specimen Type: holotype Sex: m Institution: BMNH British Museum Natural History, London, UK Photographer: Larry G. Bezark Collection Location: Tefé (originally Ega), Amazonas, Brazil 46667
|
_White_BMNH_Tefe(Ega)_AM_Brazil_LGB.jpg)
Specimen Type: holotype Sex: m Institution: BMNH British Museum Natural History, London, UK Photographer: Larry G. Bezark Collection Location: Tefé (originally Ega), Amazonas, Brazil 46668
|
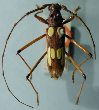
_(m)_White_BMNH_JAC.jpg)
Specimen Type: holotype Sex: m Institution: BMNH British Museum Natural History, London, UK Photographer: John Chemsak Collection Location: Tefé (originally Ega), Amazonas, Brazil 16227
|
 White BMNH Tefé (originally Ega), Amazonas, Brazil Moure.jpg)
Specimen Type: holotype Sex: m Institution: BMNH British Museum Natural History, London, UK Photographer: JS Moure Collection Location: Tefé (originally Ega), Amazonas, Brazil 101744
|
|