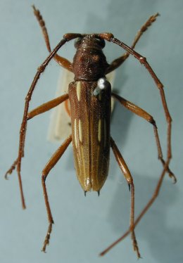
_White_BMNH_South_America_LGB.jpg)
Specimen Type: holotype Institution: BMNH British Museum Natural History, London, UK Photographer: Larry G. Bezark Collection Location: South America 46665
|
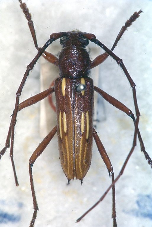
_White_BMNH_South_America_LGB.jpg)
Specimen Type: holotype Institution: BMNH British Museum Natural History, London, UK Photographer: Larry G. Bezark Collection Location: South America 46666
|
 White BMNH South America Moure.jpg)
Specimen Type: holotype Institution: BMNH British Museum Natural History, London, UK Photographer: JS Moure Collection Location: South America 101743
|
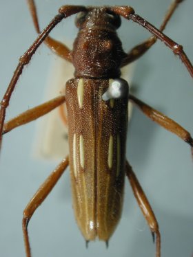
_White_MNRJ_Peruibe_SP_Brazil.jpg)
Sex: f Institution: MNRJ Museu Nacional Universidade do Rio Janeiro, Brazil Photographer: Larry G. Bezark Collection Location: Peruibe, Sao Paolo, Brazil 33306
|
_White_MNRJ_Peruibe_SP_Brazil.jpg)
Sex: m Institution: MNRJ Museu Nacional Universidade do Rio Janeiro, Brazil Photographer: Larry G. Bezark Collection Location: Peruibe, Sao Paolo, Brazil 33307
|
_White_Botero.jpg)
Sex: m Photographer: Juan Pablo Botero 63414
|
|