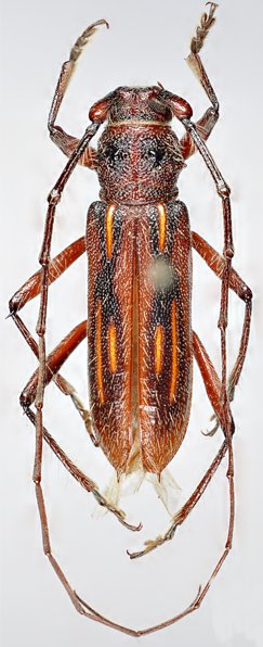
 Gounelle NMNH Jataí, Goias, Brazil Moure.jpg)
Specimen Type: holotype Sex: m Institution: MNHN Museum of Natural History Paris, France Photographer: JS Moure Collection Location: Jataí, Goias, Brazil 101742
|
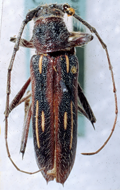
_(m)_Gounelle_MNHN_JAC.jpg)
Specimen Type: non-type Sex: f Institution: MNHN Museum of Natural History Paris, France Photographer: John Chemsak Collection Location: Jataí, Goias, Brazil 16226
|