New Search Family, Subfamily and Tribe List

SubFamily Cerambycinae

Tribe Callidiopini
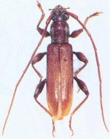
Ceresium humerale Schwarzer 1931

Sex: m
Photographer: Makihara
34574


Photographer: Makihara
34575

130425