New Search Family, Subfamily and Tribe List

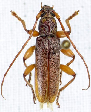
SubFamily Cerambycinae

Tribe Callidiopini
Ceresium flavipes (Fabricius, 1792)

Photographer: Estan Cabigas
Collection Location: Tawitawi, Philippines
34559


Institution: CAS California Academy of Sciences, San Francisco, CA, USA
Photographer: Larry G. Bezark
34560


Photographer: Larry G. Bezark
619

130425