
Institution: LGBC Larry G. Bezark Collection, Sacramento, California, USA Photographer: Larry G. Bezark 36389
|
_Thomson_Oriental_Villiers_Ann_Ent_Soc_France.jpg)
Sex: mf Photographer: M.Bru Determiner: Ann. Ent. Soc. France 36391
|

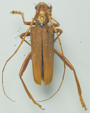
Institution: CAS California Academy of Sciences, San Francisco, CA, USA Photographer: Larry G. Bezark 36390
|

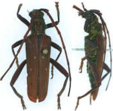
Institution: Heffern Collection Photographer: Dan Heffern Collection Location: Sabah, Borneo 71762
|

Institution: IRSNB Royal Belgian Institute of Natural Sciences, Brussels, Belgium Photographer: Noel Mal Collection Location: Indonesia 39904
|
_Thomson_Indonesia_Nusokambangan.jpg)
Photographer: Makihara 36392
|
|