_White_BMNH_Brazil_LGB.jpg)
Specimen Type: holotype Institution: BMNH British Museum Natural History, London, UK Photographer: Larry G. Bezark Collection Location: Brazil 46663
|
_White_BMNH_Brazil_LGB.jpg)
Specimen Type: holotype Institution: BMNH British Museum Natural History, London, UK Photographer: Larry G. Bezark Collection Location: Brazil 46664
|
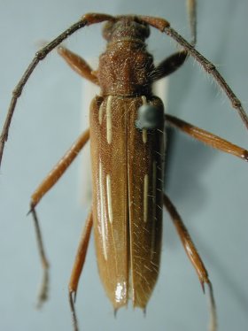
_White_JW.jpg)
Sex: m Photographer: Jim Wappes Collection Location: Bolivia 42169
|
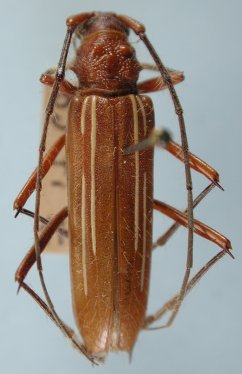
_White_JW.jpg)
Sex: f Photographer: Jim Wappes Collection Location: Bolivia 42170
|
_White_MNRJ_LO_Brazil.jpg)
Sex: f Institution: MNRJ Museu Nacional Universidade do Rio Janeiro, Brazil Photographer: Larry G. Bezark Collection Location: LO, Brazil 33302
|
_White_MNRJ_Corupa_SC_Brazil.jpg)
Sex: m Institution: MNRJ Museu Nacional Universidade do Rio Janeiro, Brazil Photographer: Larry G. Bezark Collection Location: Corupa, Santa Catarina, Brazil 33303
|