
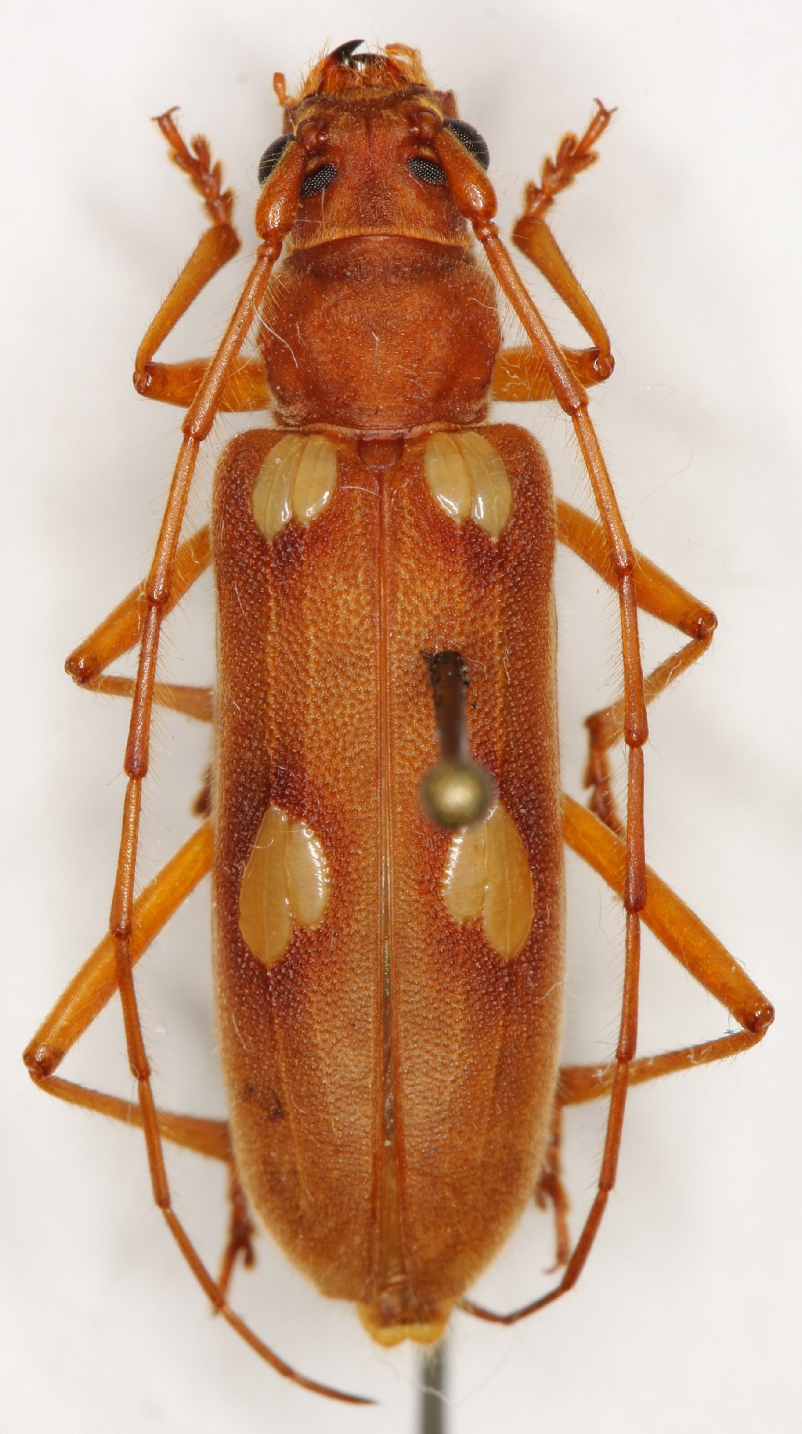
Institution: Heffern Collection Photographer: Dan Heffern Collection Location: Sabah, Borneo 71840
|

Institution: LGBC Larry G. Bezark Collection, Sacramento, California, USA Photographer: Larry G. Bezark Determiner: Dan Heffern Collection Location: Borneo 48286
|