_Fisher_USNM_DJH.jpg)
Specimen Type: holotype Sex: f Institution: NMNH United States National Museum, Washington, DC, USA Photographer: Dan Heffern Collection Location: Mount Kinabalu : Marei Parei, Sabah, Borneo 38558
|
_Fisher_USNM_DJH.jpg)
Specimen Type: holotype Sex: f Institution: NMNH United States National Museum, Washington, DC, USA Photographer: Dan Heffern Collection Location: Mount Kinabalu : Marei Parei, Sabah, Borneo 38559
|

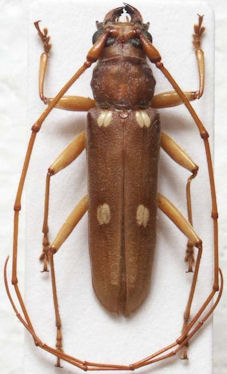
Sex: m Institution: LGBC Larry G. Bezark Collection, Sacramento, California, USA Photographer: Larry G. Bezark Collection Location: Sabah, Borneo 38560
|

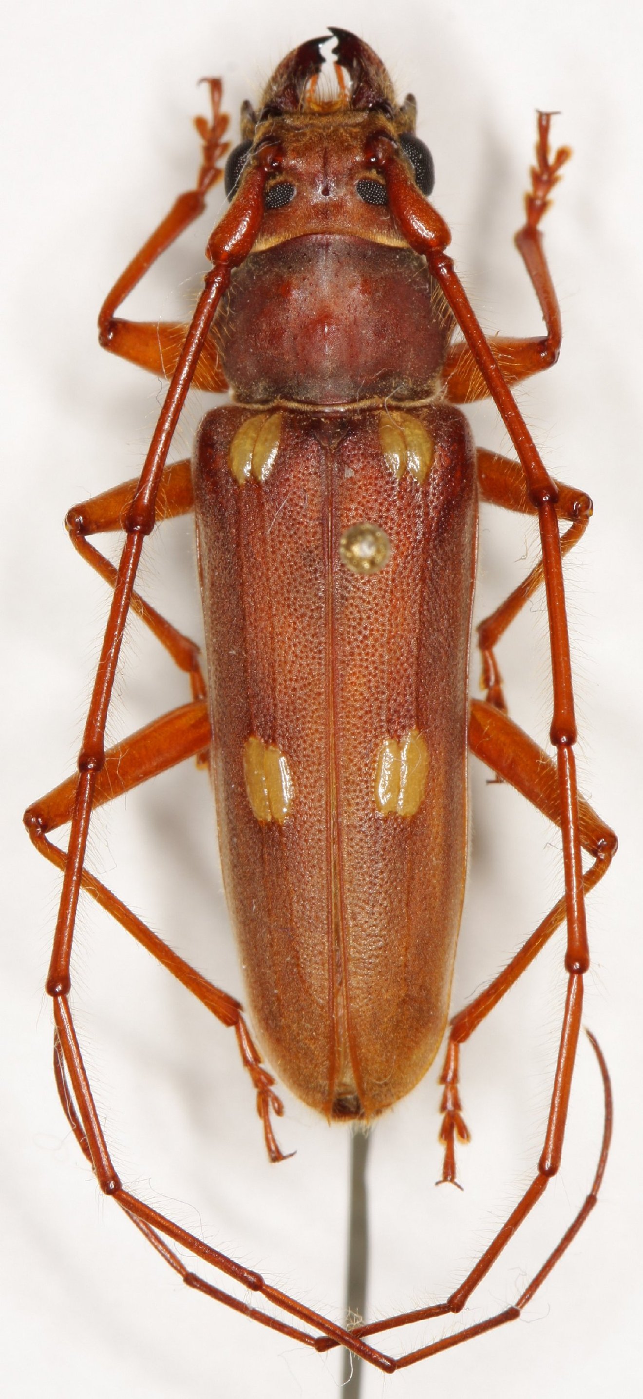
Sex: f Institution: LGBC Larry G. Bezark Collection, Sacramento, California, USA Photographer: Larry G. Bezark Collection Location: Sabah, Borneo 38561
|

Sex: m Photographer: Robert Vigneault, Cerambycoidea Forum 38562
|
_Fisher_Sabah.jpg)
Sex: m Institution: Heffern Collection Photographer: Dan Heffern Collection Location: Sabah, Borneo 71791
|
|