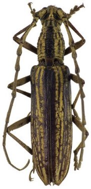
_Pascoe_Borneo.jpg)
Xoanodera magister Pascoe Specimen Type: holotype Institution: BMNH British Museum Natural History, London, UK Determiner: Transactions Ent Soc London Collection Location: Borneo 67002
|
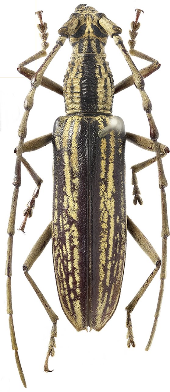
 Pascoe Pontianak, Borneo Mirosh.jpg)
Sex: m Photographer: Alexandr Miroshnikov Collection Location: Pontianak, Borneo 79505
|
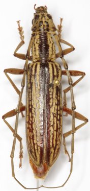
 Pascoe Pontianak, Borneo Mirosh.jpg)
Sex: f Photographer: Alexandr Miroshnikov Collection Location: Pontianak, Borneo 79506
|
 Pascoe Pontianak, Borneo Mirosh.jpg)
Sex: f Photographer: Alexandr Miroshnikov Collection Location: Pontianak, Borneo 79507
|
_Thailand_ISRNB_NM.jpg)
Sex: f Institution: IRSNB Royal Belgian Institute of Natural Sciences, Brussels, Belgium Photographer: Noel Mal Collection Location: Thailand 67003
|
_Pontianak_Borneo_ISRNB_NM.jpg)
Sex: m Institution: IRSNB Royal Belgian Institute of Natural Sciences, Brussels, Belgium Photographer: Noel Mal Collection Location: Thailand 67004
|
_DJH.jpg)
Sex: f Photographer: Dan Heffern 67005
|

Photographer: Jim Cope Collection Location: Perak, Malaysia 67006
|