New Search Family, Subfamily and Tribe List

SubFamily Cerambycinae

Tribe Eburiini
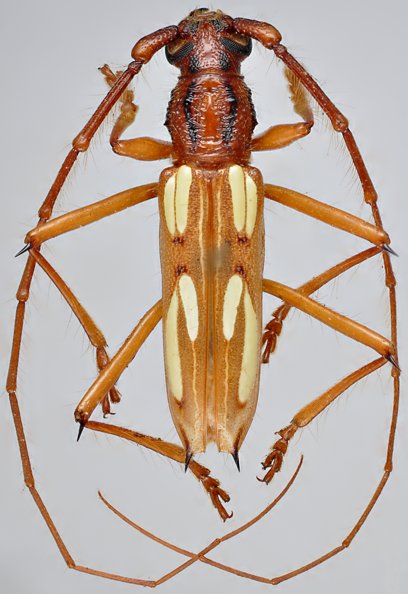
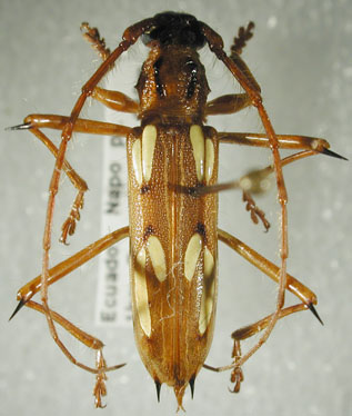
Eburodacrys lepida Martins 1973

Specimen Type: holotype
Sex: f
Institution: MZSP Museu de Zoologia da Universidade de São Paulo, Brazil
Collection Location: Boca de Lago, Preto Amazonas, Brazil
21863


Sex: m
Photographer: Juan Pablo Botero
63411


Institution: EMG Ed Giesbert Collection (now at FSCA)
Photographer: Larry G. Bezark
Collection Location: Napo, Ecuador
7076

130425