 Pascoe BMNH Malacca, Malaysia Mirosh.jpg)
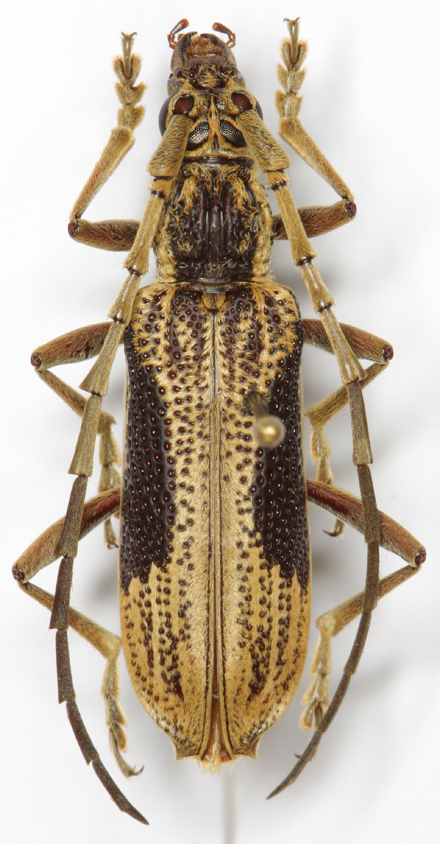
Specimen Type: holotype Institution: BMNH British Museum Natural History, London, UK Photographer: Alexandr Miroshnikov Collection Location: Malacca, Malaysia 79489
|
_Pascoe_Borneo.jpg)
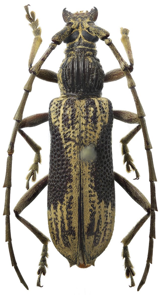
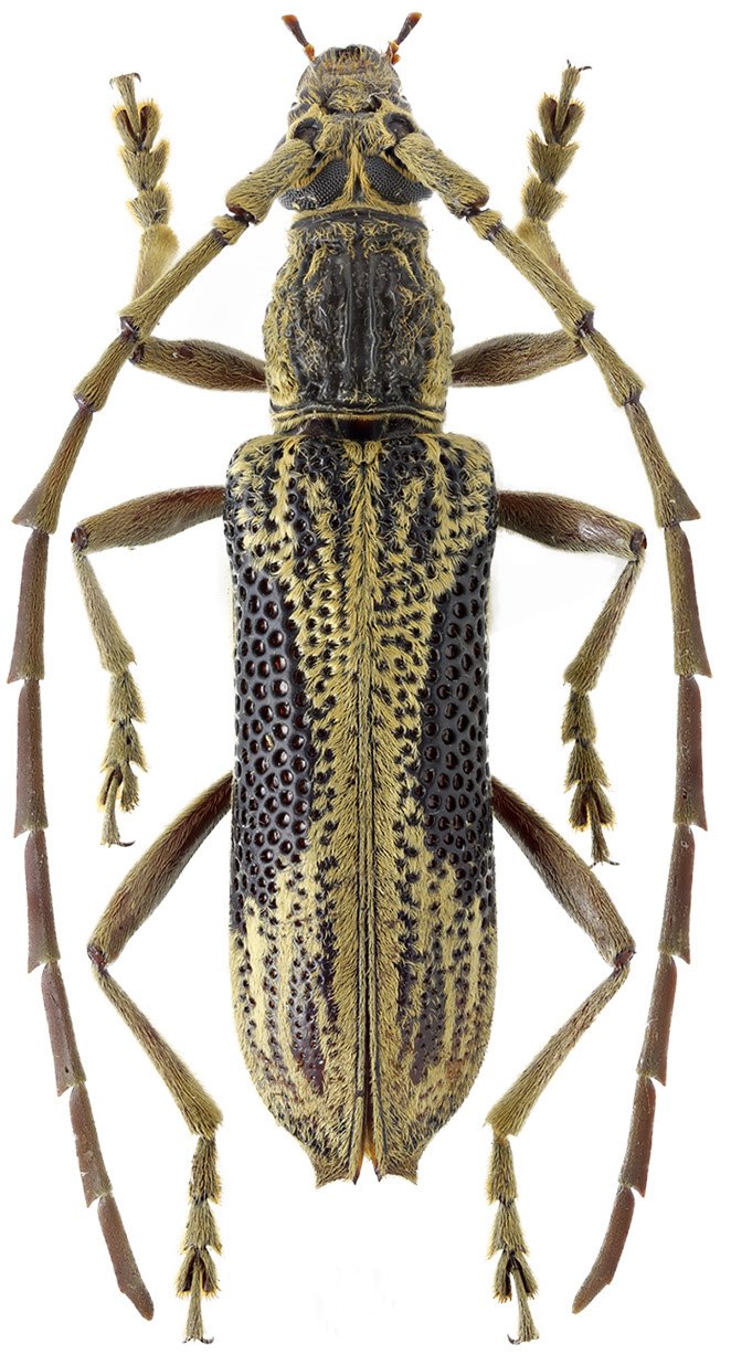
Specimen Type: holotype Institution: BMNH British Museum Natural History, London, UK Collection Location: Malacca, Malaysia 45535
|