New Search Family, Subfamily and Tribe List

SubFamily Cerambycinae

Tribe Eburiini
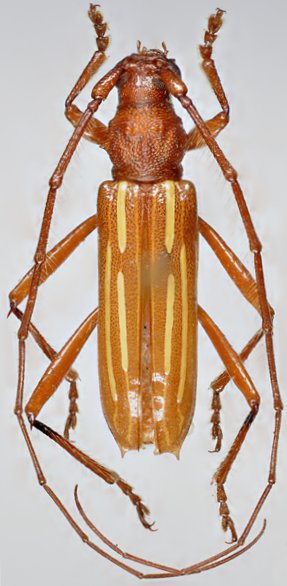
Eburodacrys lenkoi Napp & Martins 1980

Specimen Type: holotype
Sex: m
Institution: MZSP Museu de Zoologia da Universidade de São Paulo, Brazil
Photographer: Juan Pablo Botero
Collection Location: Rio de Janeiro, Brazil
21862


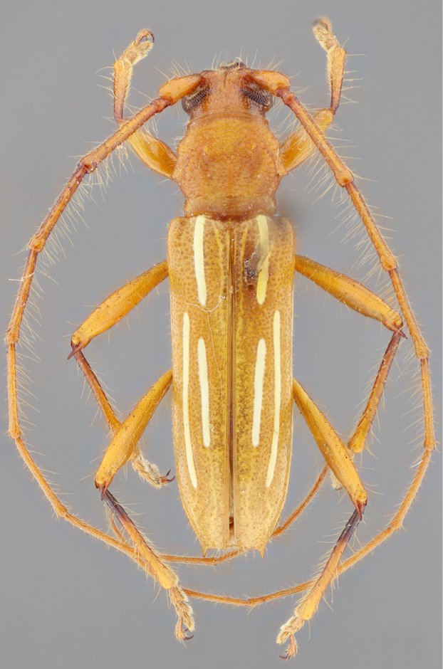
Sex: m
Photographer: Juan Pablo Botero
63410

130425