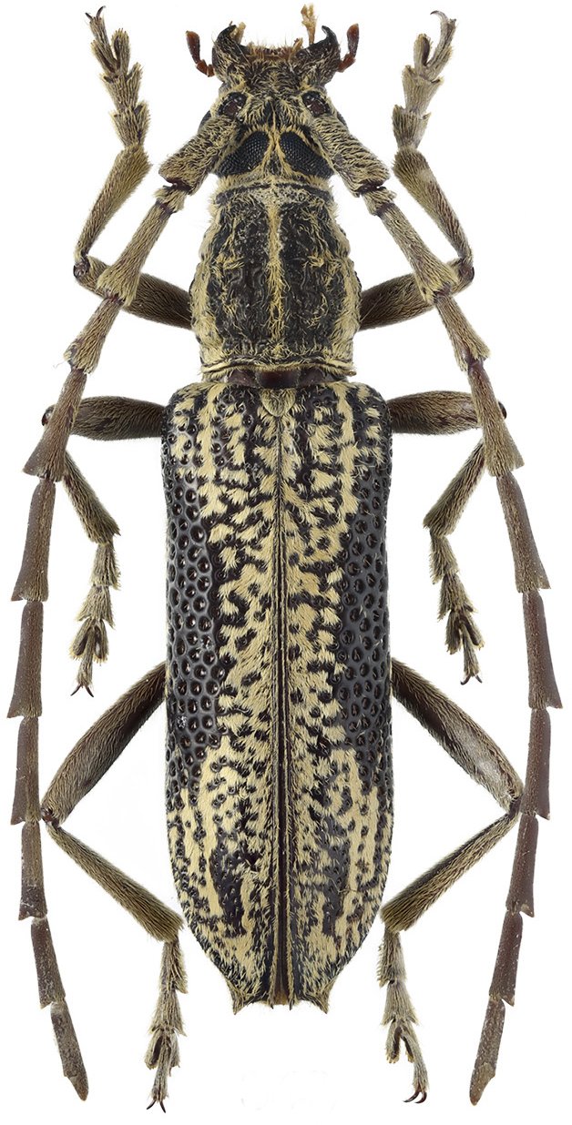
_DJH.jpg)
Specimen Type: holotype Sex: m Institution: Holzschuh Collection Photographer: Lubo Dembický Collection Location: Mt. Trus-Madi, Sabah, Borneo 45532
|
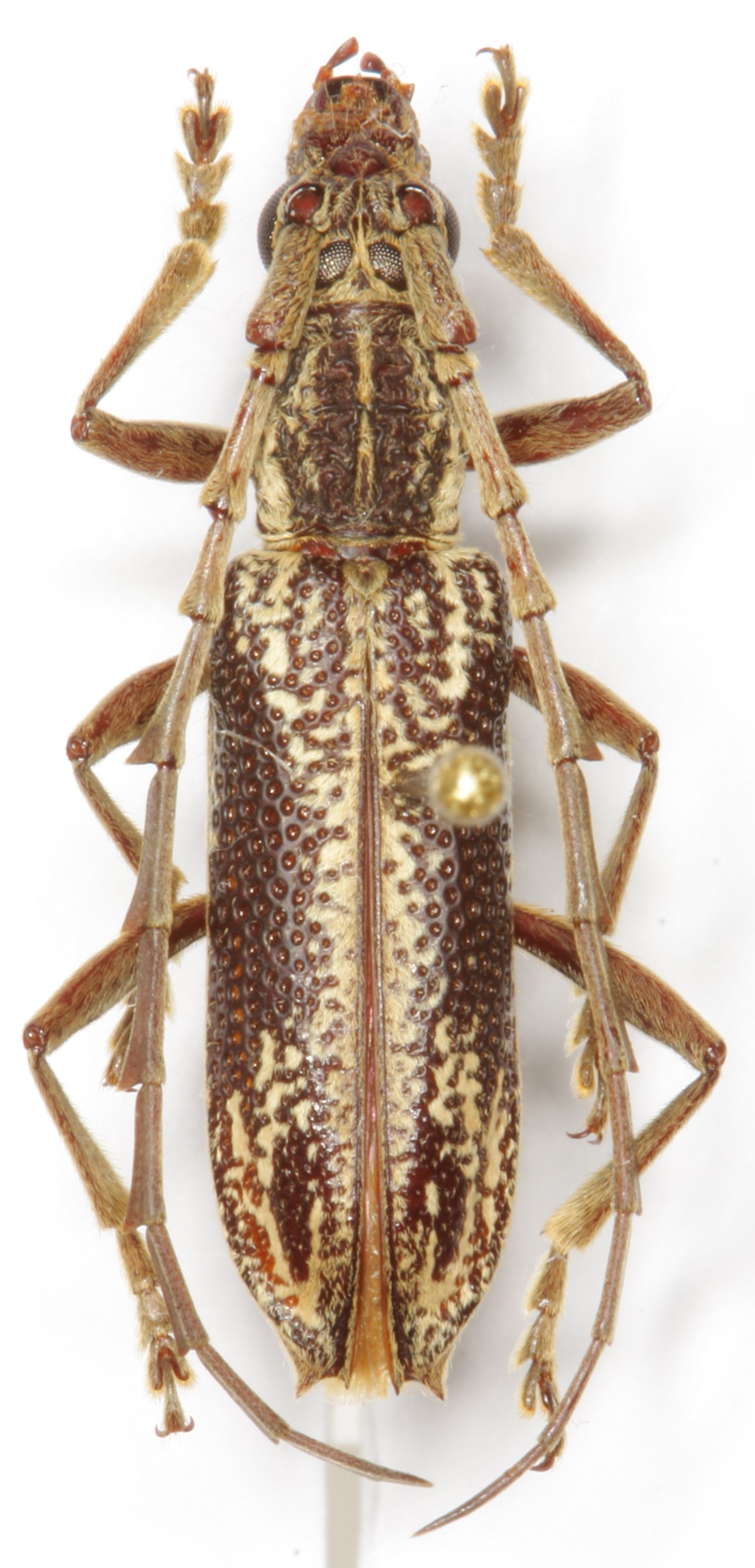
_Holzschuh_Sabah.jpg)
Sex: m Institution: Heffern Collection Photographer: Dan Heffern Collection Location: Sabah, Borneo 71945
|
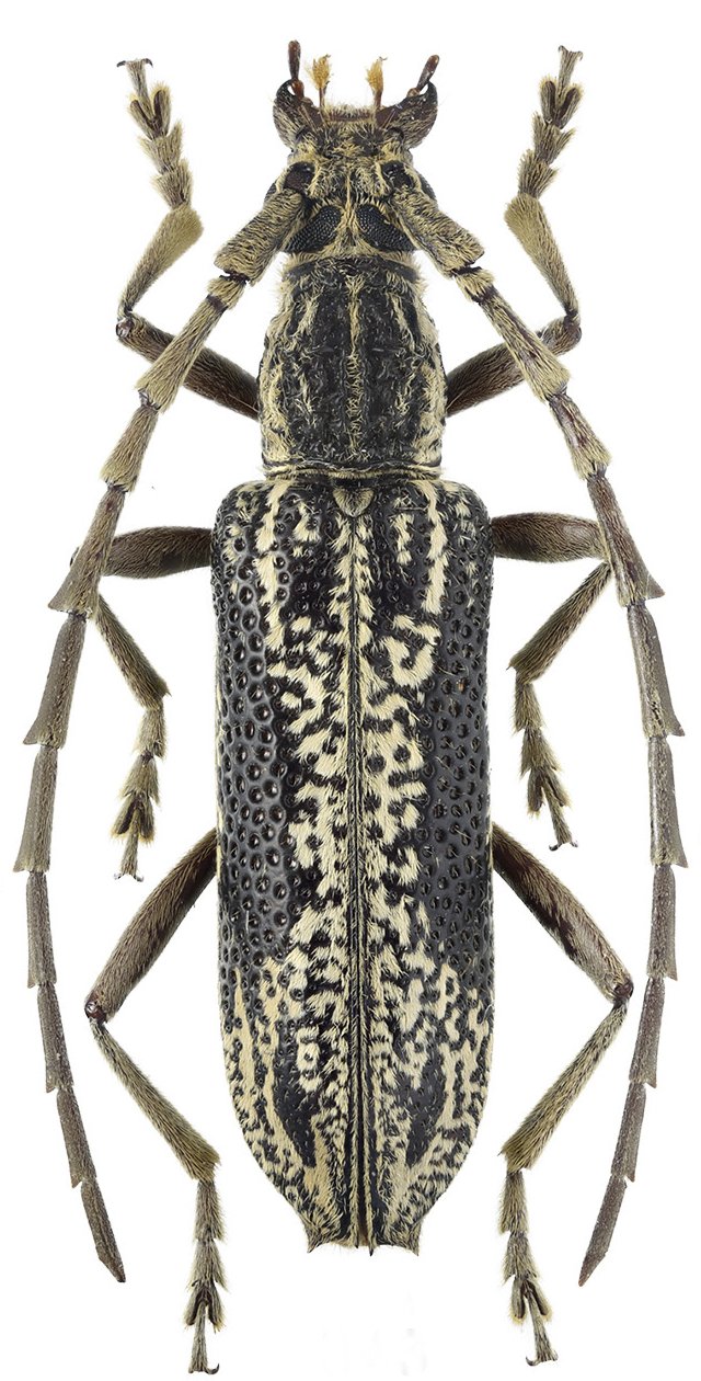
 Holzchuh Mirosh.jpg)
Sex: m Photographer: Alexandr Miroshnikov 79487
|
 Holzchuh Mirosh.jpg)
Sex: f Photographer: Alexandr Miroshnikov 79488
|

Institution: LGBC Larry G. Bezark Collection, Sacramento, California, USA Photographer: Larry G. Bezark Collection Location: Mt. Trus-Madi, Sabah, Borneo 45533
|

Institution: LGBC Larry G. Bezark Collection, Sacramento, California, USA Photographer: Larry G. Bezark Collection Location: Sabah, Borneo 66620
|
|