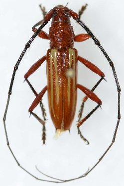
_Zajciw_MNRJ_Satipo_Junin_Peru_Botero.jpg)
Specimen Type: holotype Sex: m Institution: MNRJ Museu Nacional Universidade do Rio Janeiro, Brazil Photographer: Juan Pablo Botero Collection Location: Satipo, Junin, Peru 63409
|
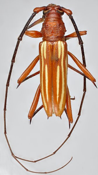
_Zajciw_MNRJ_SWL.jpg)
Specimen Type: holotype Sex: m Institution: MNRJ Museu Nacional Universidade do Rio Janeiro, Brazil Photographer: Steve Lingafelter Collection Location: Satipo, Junin, Peru 7073
|