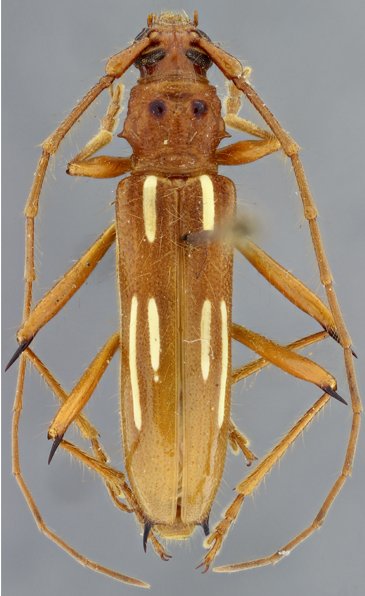
_Napp_Martins_MZSP_ES_Brazil_SS.jpg)
Specimen Type: holotype Sex: f Institution: MZSP Museu de Zoologia da Universidade de São Paulo, Brazil Photographer: Antonio Santos-Silva Collection Location: Espirito Santo, Brazil 63408
|
 Napp & Martins MZSP Espirito Santo, Brazil Botero pic.jpg)
Specimen Type: holotype Sex: f Institution: MZSP Museu de Zoologia da Universidade de São Paulo, Brazil Photographer: Juan Pablo Botero Collection Location: Espirito Santo, Brazil 81157
|