New Search Family, Subfamily and Tribe List

SubFamily Cerambycinae

Tribe Cerambycini
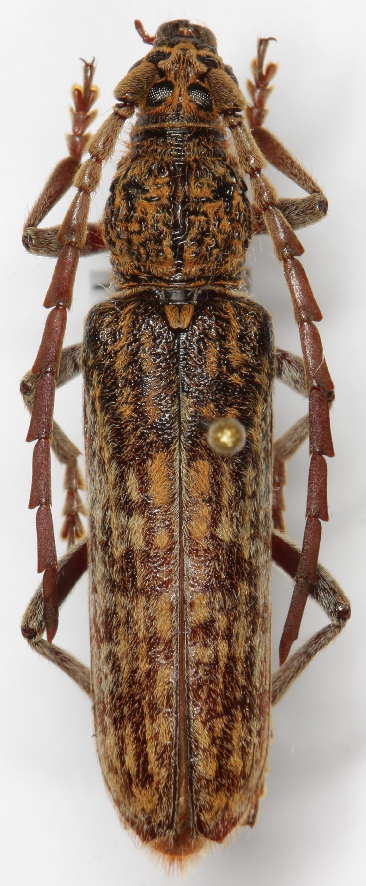
Rhytidodera simulans (White, 1853)

Sex: f
Institution: Heffern Collection
Photographer: Dan Heffern
Collection Location: Sabah, Borneo
71904


Institution: LGBC Larry G. Bezark Collection, Sacramento, California, USA
Photographer: Larry G. Bezark
60231


Sex: m
Institution: Heffern Collection
Photographer: Dan Heffern
Collection Location: Sabah, Borneo
71905

130425