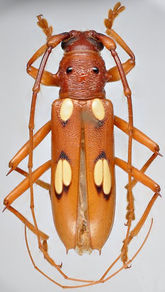
_(f)_Bates_BMNH_JAC.jpg)
Specimen Type: lectotype Sex: f Institution: BMNH British Museum Natural History, London, UK Photographer: John Chemsak Collection Location: Bugaba, Chiriqui, Panama 16222
|
_(f)_Bates_BMNH_Tav.jpg)
Specimen Type: lectotype Sex: f Institution: BMNH British Museum Natural History, London, UK Photographer: Gerard Tavakilian Collection Location: Bugaba, Chiriqui, Panama 16223
|