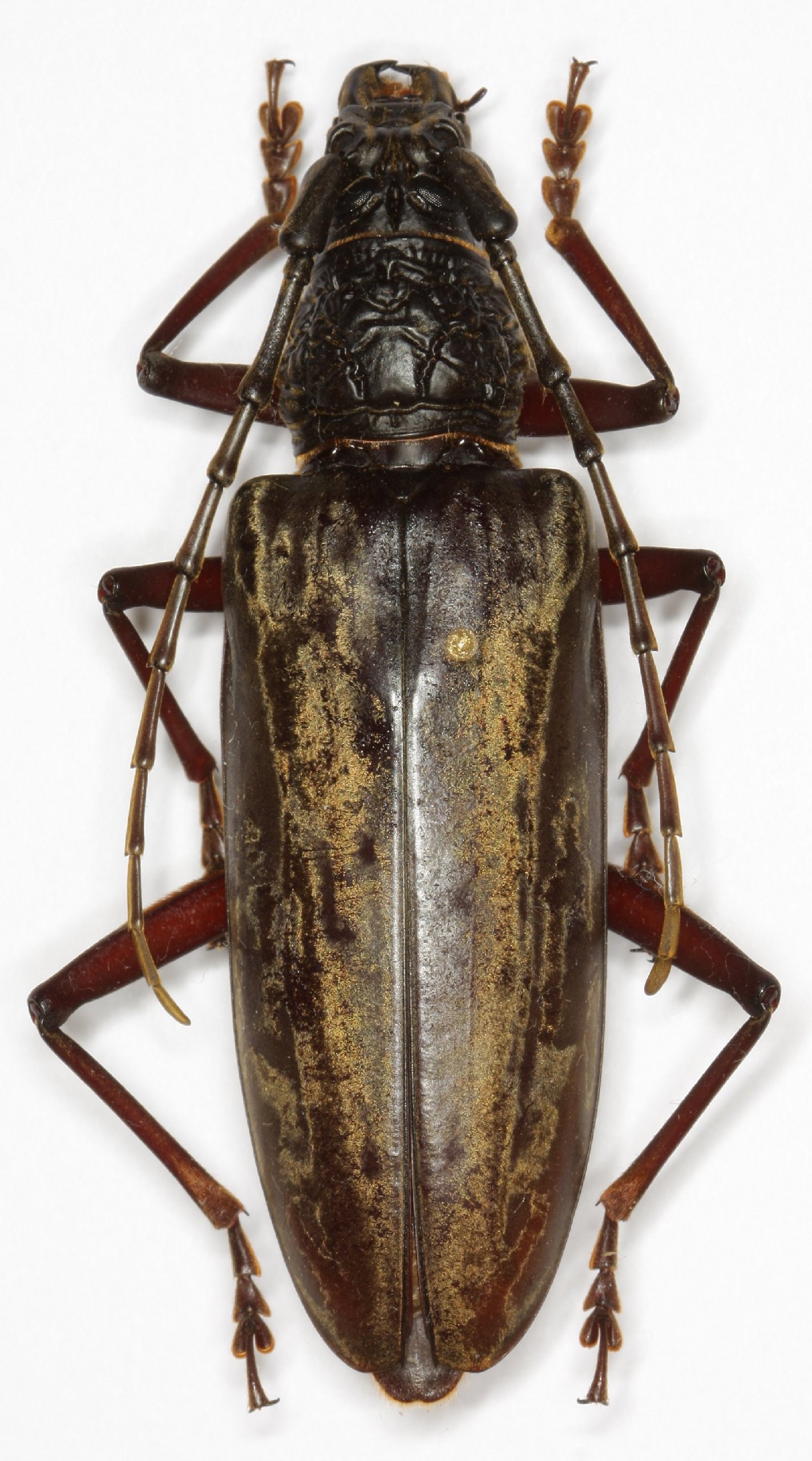
_Huedepohl_Sabah.jpg)
Sex: f Institution: Heffern Collection Photographer: Dan Heffern Collection Location: Sabah, Borneo 71877
|

Collection Location: Chiang Mai, Thailand 54212
|

Specimen Type: probably this taxon Photographer: Ulf Nylander Collection Location: Cameron Highlands, Malaysia 54224
|
|