_Gr_Rond_BPBM_18kmNW_Xieng_Khouang_Laos_now_Nano.jpg)
Strangalia breuningi Gressitt & Rondon Specimen Type: holotype Sex: f Institution: BPBM Bernice P. Bishop Museum, Honolulu, Hawaii, USA Photographer: Nobuo Ohbayashi Collection Location: 18 km NW Xieng Khouang, Laos 45429
|
_Gr_Rond_BPBM_.jpg)
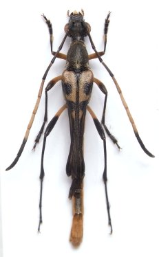
Strangalia breuningi Gressitt & Rondon Specimen Type: holotype Sex: f Institution: BPBM Bernice P. Bishop Museum, Honolulu, Hawaii, USA Photographer: Nobuo Ohbayashi Collection Location: 18 km NW Xieng Khouang, Laos 45430
|
_Gr_Rond_BPBM_.jpg)
Strangalia breuningi Gressitt & Rondon Specimen Type: holotype Sex: f Institution: BPBM Bernice P. Bishop Museum, Honolulu, Hawaii, USA Photographer: Nobuo Ohbayashi Collection Location: 18 km NW Xieng Khouang, Laos 45431
|
_(Gressitt_Rondon)_Hua_Phan_Laos_Xavier_photo.jpg)
Sex: m Photographer: Xavier Gouverneur, Cerambycoidea Forum Collection Location: Hua Phan, Laos 54075
|
|