_Pascoe_Malaysia_Penang.jpg)
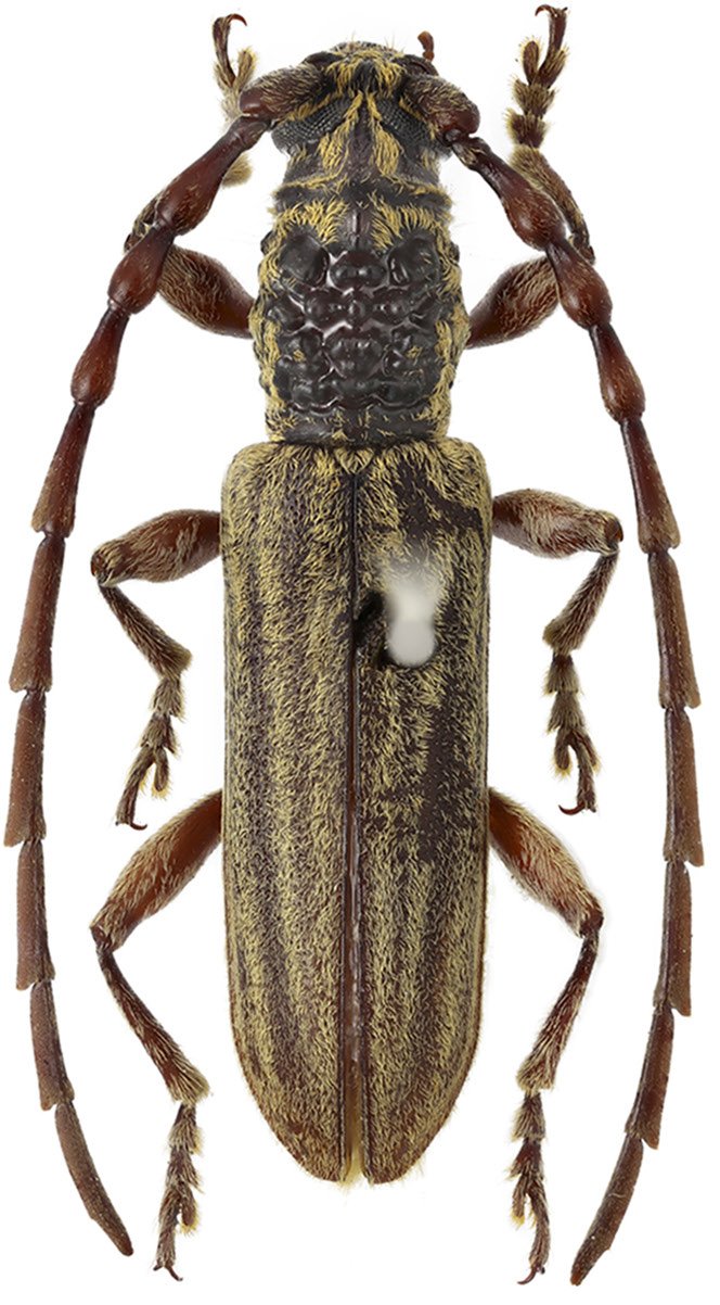
Specimen Type: holotype Institution: BMNH British Museum Natural History, London, UK Collection Location: Penang, Malacca, Malaysia 51245
|

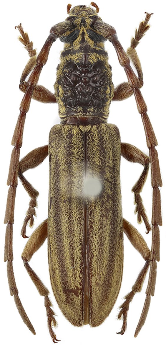
Institution: LGBC Larry G. Bezark Collection, Sacramento, California, USA Photographer: Larry G. Bezark Collection Location: Sabah, Borneo 51246
|
 Pascoe Mirosh.jpg)
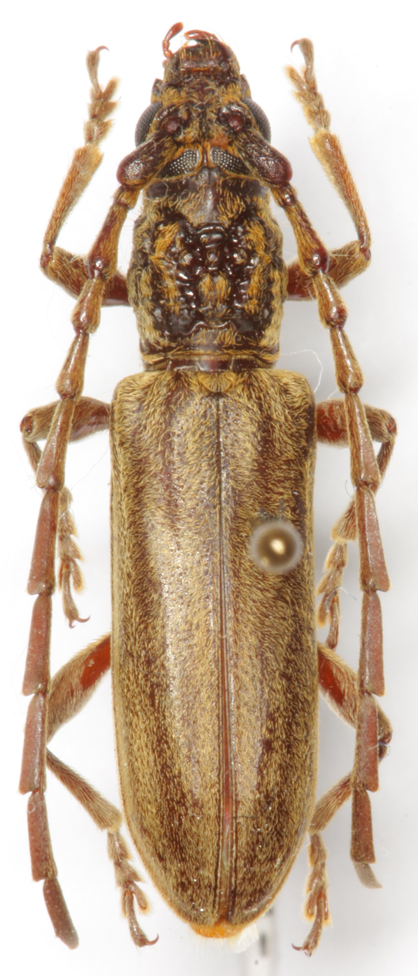
Sex: m Photographer: Alexandr Miroshnikov 79438
|
 Pascoe Mirosh.jpg)
Sex: f Photographer: Alexandr Miroshnikov 79439
|
_Pascoe_Sabah.jpg)
Sex: m Institution: Heffern Collection Photographer: Dan Heffern Collection Location: Sabah, Borneo 71848
|

Photographer: Robert Vigneault, Cerambycoidea Forum 51247
|
|