_DJH.jpg)
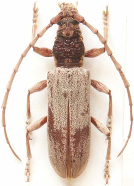
Imbrius imitator Holzschuh Specimen Type: holotype Sex: m Institution: Holzschuh Collection Photographer: Lubo Dembický Collection Location: Keningau-Kimanis, Crocker Range, Sabah, Borneo 51243
|
_Holzschuh_Malaysia_Sabah_Crocker_Range.jpg)
Imbrius imitator Holzschuh Specimen Type: holotype Sex: m Institution: Holzschuh Collection Determiner: Entomologica Basiliensa et Collectionis Frey Collection Location: Keningau-Kimanis, Crocker Range, Sabah, Borneo 51244
|

Institution: LGBC Larry G. Bezark Collection, Sacramento, California, USA Photographer: Larry G. Bezark 51239
|

Photographer: Robert Vigneault, Cerambycoidea Forum 51240
|
|