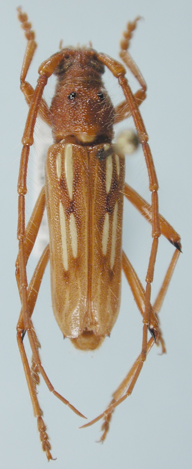
_(f)_Chevrolat_BMNH_JAC.jpg)
Specimen Type: holotype Sex: f Institution: BMNH British Museum Natural History, London, UK Photographer: John Chemsak Collection Location: département oriental de l'Ile, Cuba 16218
|
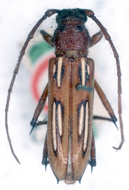
_Chevrolat_MNHN_FTH.jpg)
Specimen Type: holotype Sex: f Institution: BMNH British Museum Natural History, London, UK Collection Location: département oriental de l'Ile, Cuba 16219
|

Photographer: Ole Mehl Collection Location: Department President Hayes, Paraguay 36724
|

Institution: LGBC Larry G. Bezark Collection, Sacramento, California, USA Photographer: Larry G. Bezark Determiner: Juan Pablo Botero Collection Location: Caazapa, Paraguay 96486
|
_Chevrolat_Botero.jpg)
Sex: m Photographer: Juan Pablo Botero 63404
|

Photographer: Jim Wappes Collection Location: Bolivia 7065
|

Photographer: Larry G. Bezark Determiner: Cope Collection Location: Panama 7066
|

Institution: FTH Frank T. Hovore collection (now at California Academy of Sciences) Photographer: Larry G. Bezark Collection Location: 5 km W Ipeti, Bayano, Panama 7067
|

Institution: LGBC Larry G. Bezark Collection, Sacramento, California, USA Photographer: Larry G. Bezark Determiner: Bira Martins Collection Location: Guanacaste, Costa Rica 24587
|

Institution: LGBC Larry G. Bezark Collection, Sacramento, California, USA Photographer: Larry G. Bezark Determiner: Bira Martins Collection Location: Guanacaste, Costa Rica 24588
|