_Huedepohl_Malaysia_Sabah.jpg)
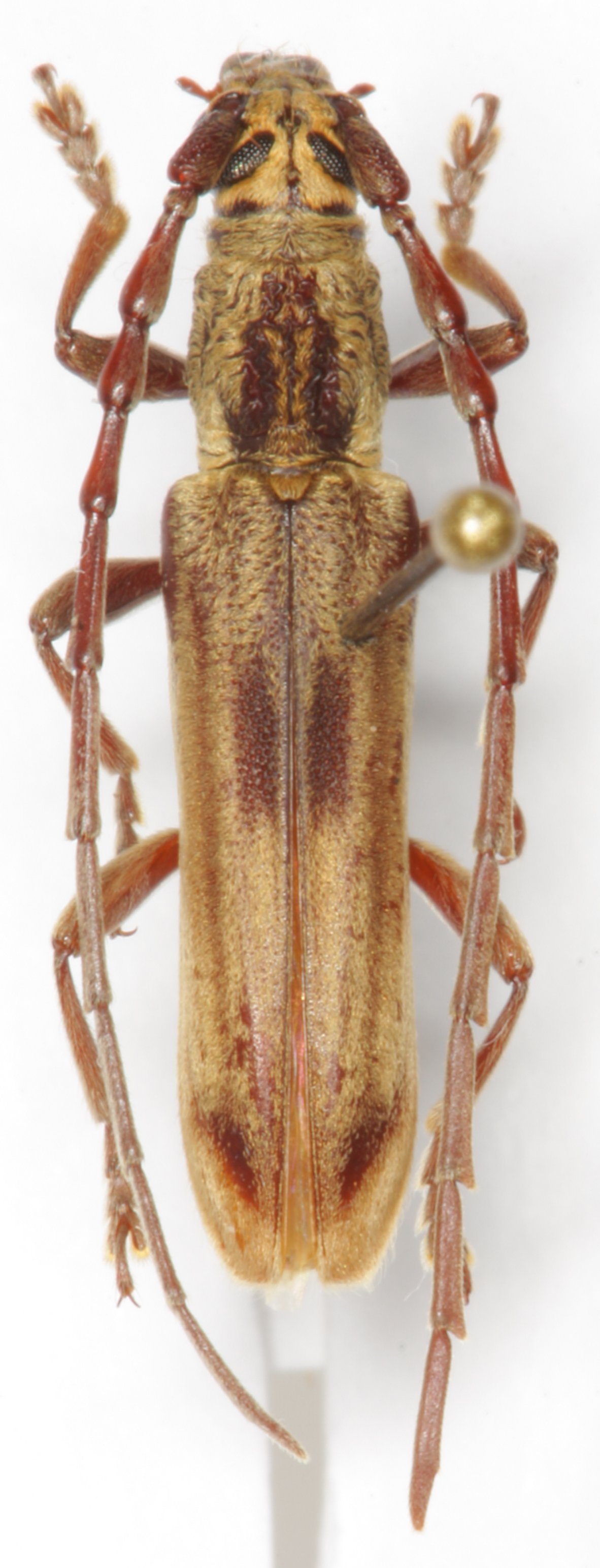
Specimen Type: holotype Sex: m Institution: ZSM Zoologische Staatssammlung, München, Germany Determiner: Schrift. Forstlichen Bundesversuchsanstalt Collection Location: Sabah, Borneo 38491
|

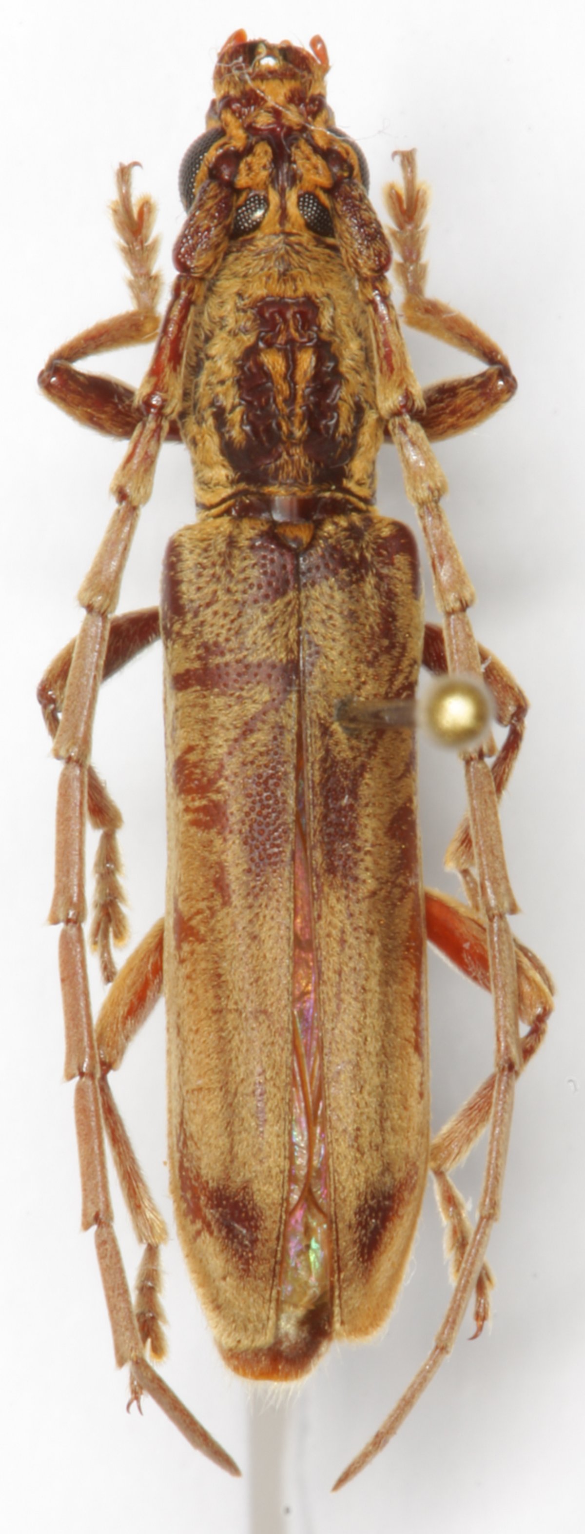
Institution: LGBC Larry G. Bezark Collection, Sacramento, California, USA Photographer: Larry G. Bezark Collection Location: Mt Trus Madi, Crocker Range, Sabah, Borneo 38492
|