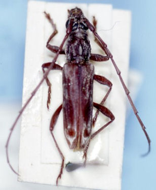
 Pascoe BMNH Ellopura, Sabah, Borneo Mirosh.jpg)
Specimen Type: holotype Sex: m Institution: BMNH British Museum Natural History, London, UK Photographer: Alexandr Miroshnikov Collection Location: Ellopura, Sabah, Borneo 58953
|
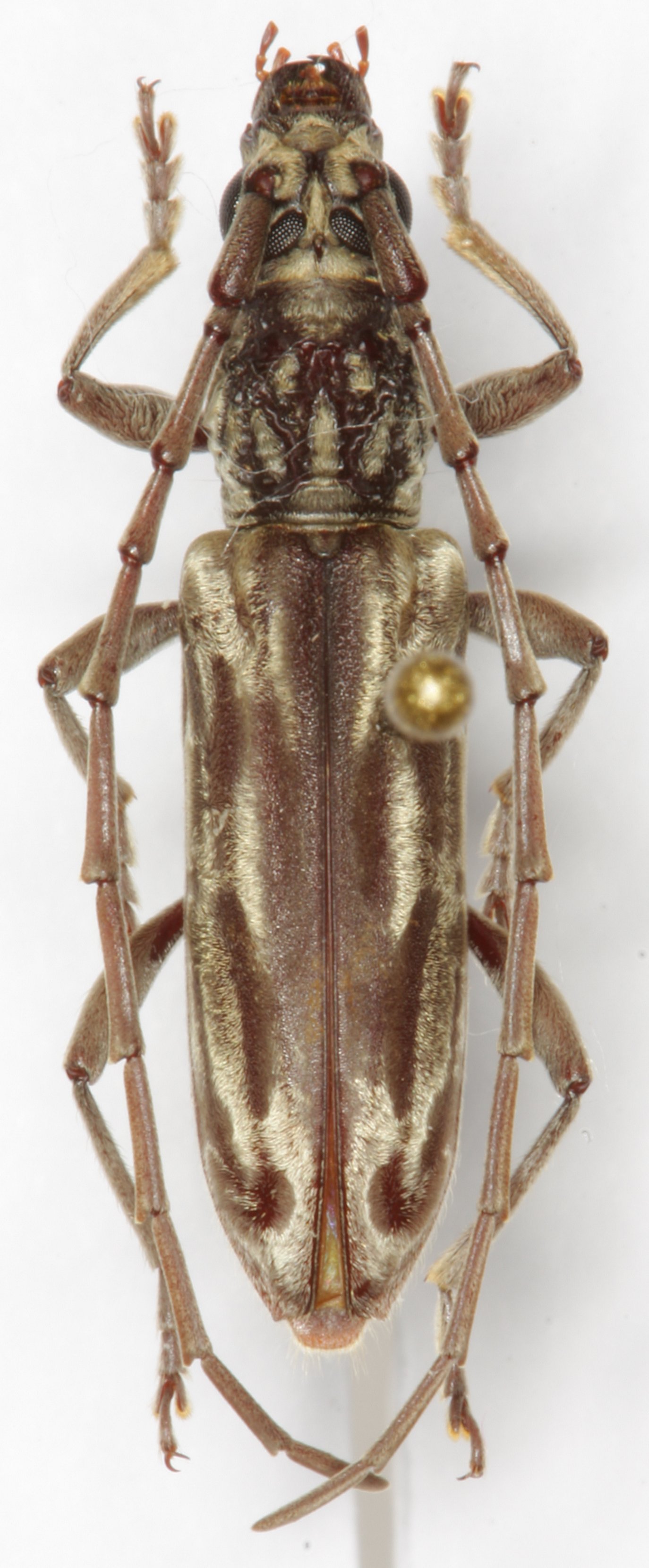
_Pascoe_Sabah.jpg)
Sex: f Institution: Heffern Collection Photographer: Dan Heffern Collection Location: Sabah, Borneo 71790
|

Institution: BPBM Bernice P. Bishop Museum, Honolulu, Hawaii, USA Photographer: Jim Cope Collection Location: Laos 38514
|

Institution: LGBC Larry G. Bezark Collection, Sacramento, California, USA Photographer: Larry G. Bezark Collection Location: Sabah, Borneo 38515
|
_Pascoe_Sumatra_Cope.jpg)
Specimen Type: maybe this taxon Institution: BPBM Bernice P. Bishop Museum, Honolulu, Hawaii, USA Photographer: Jim Cope Collection Location: Sumatra 38516
|
|